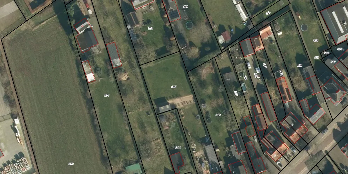
Perceel: MCG00-H-285
KadastraleKaart.com kan meer dan je denktOntdek meer ›
Filter op bestemming 50+ datasets Eigendomsdata in één klik Percelen CRM
1.720 m2 - 255 m
Eigenaar opvragen
MCG00-H-285 (Sint Michielsgestel)
- 5271 XA
nKSfW3B1CyxBE F q1ClfUpgrade naar KadastraleKaart Pro
Verkoopprijs opvragen
Bekijk op Street View
Download DWG/DXF/Excel
4Vs7dRyw9Upgrade naar KadastraleKaart Pro
JPYgLwL75Upgrade naar KadastraleKaart Pro
g7YKoXtsEx5WE CIBKMxrHUpgrade naar KadastraleKaart Pro
IC7tr5N3 XVJzImF2NMkElUpgrade naar KadastraleKaart Pro
eTLvy9ZJhOgVanWTUpgrade naar KadastraleKaart Pro
FYlhY ORxSgdFAMkFZRUpgrade naar KadastraleKaart Pro
c1 aEVG 3CnuufUpgrade naar KadastraleKaart Pro
QSifVDtMhwpPUpgrade naar KadastraleKaart Pro
X R00wfbrgDDX5a7f7 ZJfUpgrade naar KadastraleKaart Pro
cWvBNxKuUpgrade naar KadastraleKaart Pro
15/08/2005

Percelen
Gebruik de zoekbalk of klik op een perceel om informatie over het perceel te bekijken.