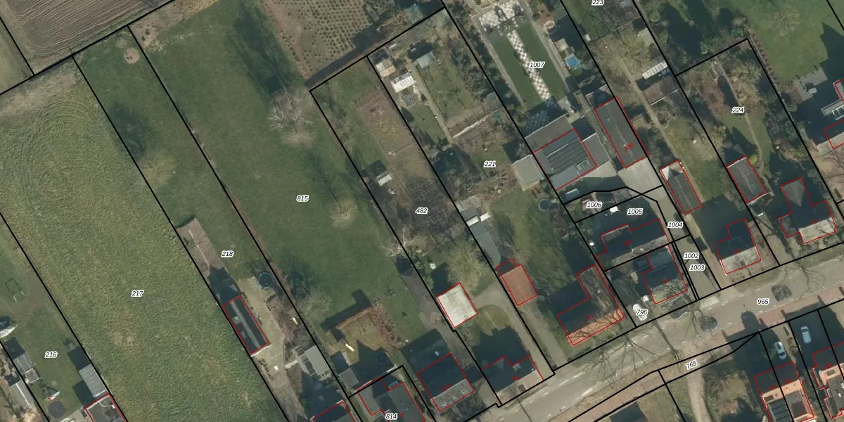
Perceel: MCG00-H-482
KadastraleKaart.com kan meer dan je denktOntdek meer ›
Filter op bestemming 50+ datasets Eigendomsdata in één klik Percelen CRM
1.349 m2 - 206 m
Eigenaar opvragen
MCG00-H-482 (Sint Michielsgestel)
- 5271 VZ
6ABS59q3ZIwamGzjvzIEc 15Upgrade naar KadastraleKaart Pro
Bekijk op Street View
Download DWG/DXF/Excel
MOL49 3UeYUpgrade naar KadastraleKaart Pro
4Cv6iQ1Dx1W1vQfmCKgBM7TUpgrade naar KadastraleKaart Pro
t 5D0XncdZwiUpgrade naar KadastraleKaart Pro
V4hJoJdLUpgrade naar KadastraleKaart Pro
oONz yeK7xtXUpgrade naar KadastraleKaart Pro
OoqHzS lGX1 fqzSuvXtYLOUpgrade naar KadastraleKaart Pro
meE4f3Mzm9tB3cBN7Upgrade naar KadastraleKaart Pro
MDjd9hKSUOG Upgrade naar KadastraleKaart Pro
ShqrdNRh tyH kUpgrade naar KadastraleKaart Pro
0NRm5WWZcIc 9UUpgrade naar KadastraleKaart Pro
20/02/2012

Percelen
Gebruik de zoekbalk of klik op een perceel om informatie over het perceel te bekijken.