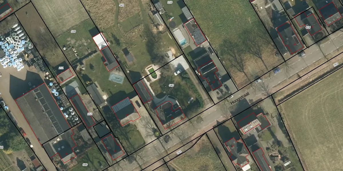
Perceel: MCG00-H-540
KadastraleKaart.com kan meer dan je denktOntdek meer ›
Filter op bestemming 50+ datasets Eigendomsdata in één klik Percelen CRM
1.230 m2 - 140 m
Eigenaar opvragen
MCG00-H-540 (Sint Michielsgestel)
- 5271 VZ
D1t2DjY82i7sYDsN2lQk7I qAdM fFUpgrade naar KadastraleKaart Pro
Verkoopprijs opvragen
Bekijk op Street View
Download DWG/DXF/Excel
DleDpSQZm1ELBgZUpgrade naar KadastraleKaart Pro
nkmj DSCB PJ9 OSNFGWKDlUpgrade naar KadastraleKaart Pro
ghogvOaWNpn1Upgrade naar KadastraleKaart Pro
fFTizFN9nTWDoymd1Upgrade naar KadastraleKaart Pro
M9mwkII18IaRKUpgrade naar KadastraleKaart Pro
MshC WLA hp3Bgv Upgrade naar KadastraleKaart Pro
5e7 6CyyBANh d ErpUpgrade naar KadastraleKaart Pro
2XvMecu7MIQNSUpgrade naar KadastraleKaart Pro
sp3N14tH xL8kLUpgrade naar KadastraleKaart Pro
dRYE6 byimnUpgrade naar KadastraleKaart Pro
15/08/2005

Percelen
Gebruik de zoekbalk of klik op een perceel om informatie over het perceel te bekijken.