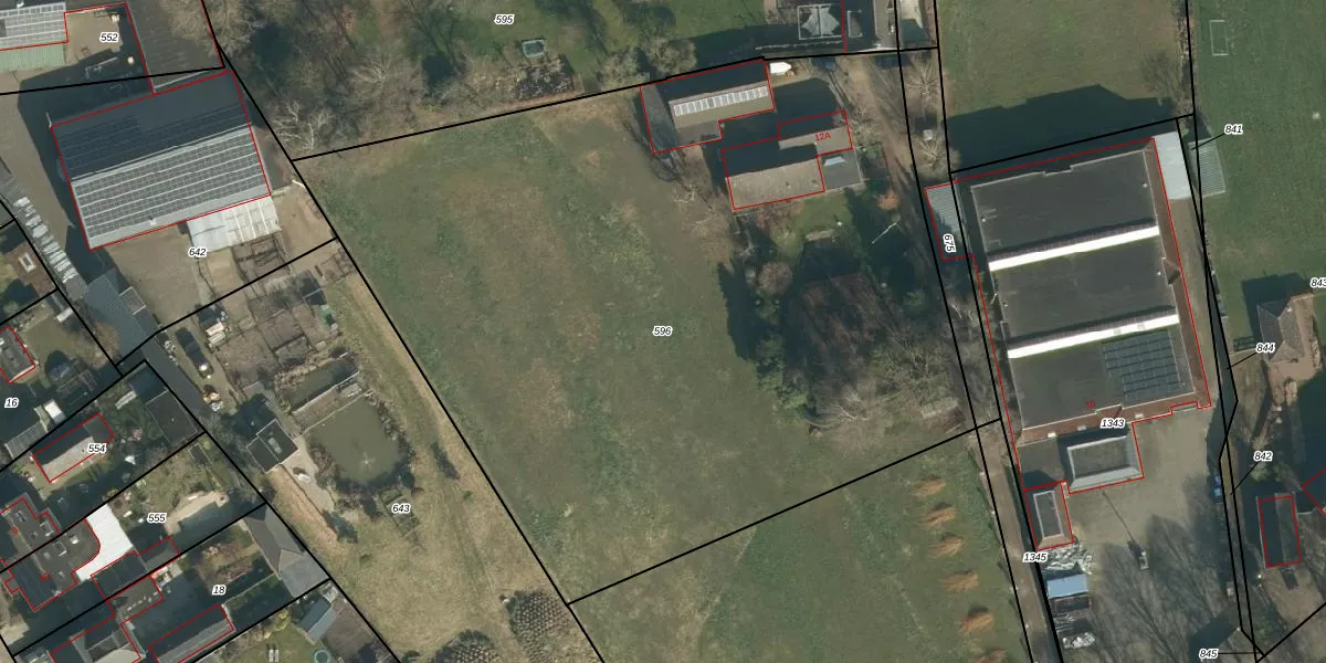
Perceel: MCG00-H-596
KadastraleKaart.com kan meer dan je denktOntdek meer ›
Filter op bestemming 50+ datasets Eigendomsdata in één klik Percelen CRM
5.370 m2 - 298 m
Eigenaar opvragen
MCG00-H-596 (Sint Michielsgestel)
- 5271 XX
L OANeQqIFyk7i7BUpgrade naar KadastraleKaart Pro
Bekijk op Street View
Download DWG/DXF/Excel
g 2qY3R0wo37iEHUpgrade naar KadastraleKaart Pro
jiyGBKTEl NKfdPwIKcDwUpgrade naar KadastraleKaart Pro
0GlsVRITjdCtj4JDVbfJwUpgrade naar KadastraleKaart Pro
eZ0gmTvKiqbjS bcwUpgrade naar KadastraleKaart Pro
xhR d DS8s64 4LgyiUpgrade naar KadastraleKaart Pro
AT5Go6uNf 5tUpgrade naar KadastraleKaart Pro
xei yhxQRhG ggM9XugBcpUpgrade naar KadastraleKaart Pro
YDSX6dn8 Upgrade naar KadastraleKaart Pro
ybdsHj5Eu5vSFZ u9 KrsUpgrade naar KadastraleKaart Pro
bVk xxSFlmoNJUpgrade naar KadastraleKaart Pro
15/11/2017

Percelen
Gebruik de zoekbalk of klik op een perceel om informatie over het perceel te bekijken.