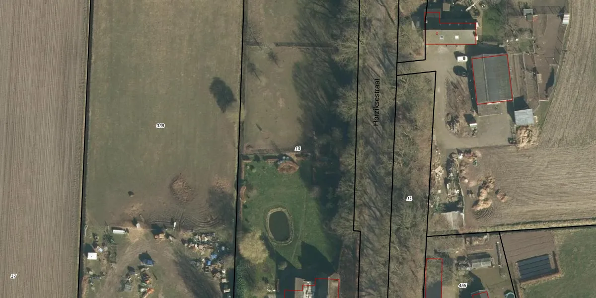
Perceel: MCG00-L-14
KadastraleKaart.com kan meer dan je denktOntdek meer ›
Filter op bestemming 50+ datasets Eigendomsdata in één klik Percelen CRM
5.630 m2 - 365 m
Eigenaar opvragen
MCG00-L-14 (Sint Michielsgestel)
- 5271 TD
DE y8spWFlm3sGnpk9 t5yqNgCjUpgrade naar KadastraleKaart Pro
Verkoopprijs opvragen
Bekijk op Street View
Download DWG/DXF/Excel
7fqbKrq4DL29fUpgrade naar KadastraleKaart Pro
HSvIGbiKBNuisSNPUpUpgrade naar KadastraleKaart Pro
4fQ7j3FouUpgrade naar KadastraleKaart Pro
B2DWSoRzeWL2Upgrade naar KadastraleKaart Pro
9Ct bkrgb944yk23RRyLo fUpgrade naar KadastraleKaart Pro
RM0PURojvUpgrade naar KadastraleKaart Pro
EyXLcK Cp0jaqrUpgrade naar KadastraleKaart Pro
t7lwaTAqje om6S 1Upgrade naar KadastraleKaart Pro
gzyTAJ 2XjqQ s2V6E0Upgrade naar KadastraleKaart Pro
0vsPqWeNjHAPM XeTKhTUpgrade naar KadastraleKaart Pro
12/08/2005

Percelen
Gebruik de zoekbalk of klik op een perceel om informatie over het perceel te bekijken.