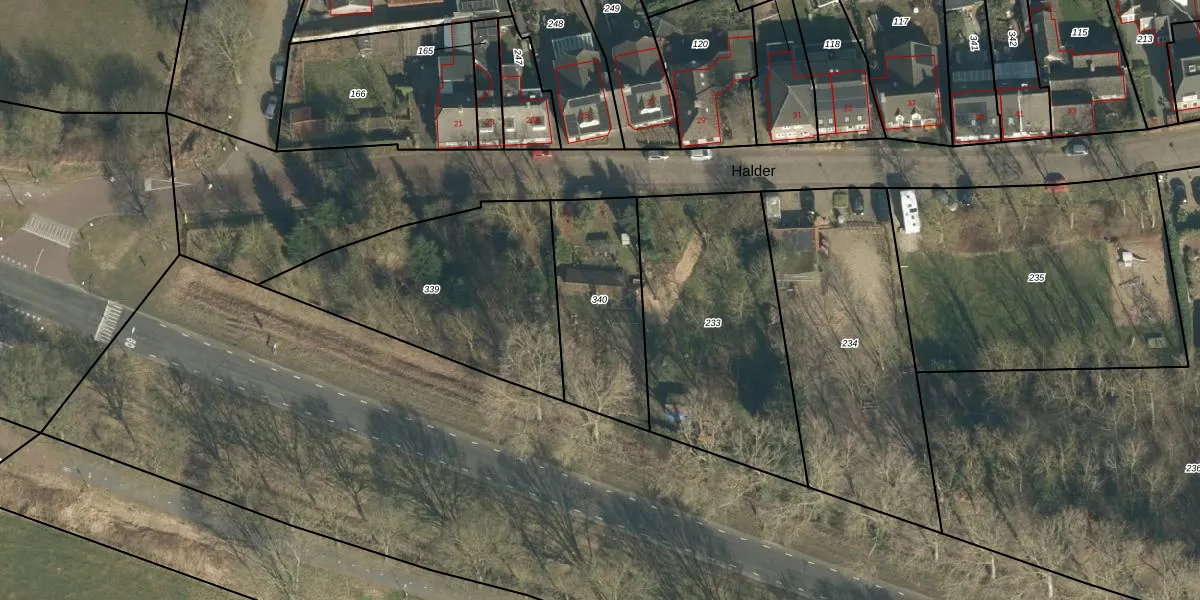
Perceel: MCG00-M-340
KadastraleKaart.com kan meer dan je denktOntdek meer ›
Filter op bestemming 50+ datasets Eigendomsdata in één klik Percelen CRM
Geen adressen bij dit perceel
515 m2 - 102 m
Eigenaar opvragen
MCG00-M-340 (Sint Michielsgestel)
- Geen postcode aanwezig
AXadM9 Kf8KxX SX1kKfc v7huUpgrade naar KadastraleKaart Pro
Bekijk op Street View
Download DWG/DXF/Excel
qPVBZyh11aUqo5tYUpgrade naar KadastraleKaart Pro
b GJshLI7r e3u NHuuU2UHUpgrade naar KadastraleKaart Pro
imMnlHSX3uirNVBs75rLaqkUpgrade naar KadastraleKaart Pro
qYWJq y1FXu1x76jUpgrade naar KadastraleKaart Pro
ZbtxUCZnMUpgrade naar KadastraleKaart Pro
CrSqO1xnYZstVUpgrade naar KadastraleKaart Pro
ctWJHU4Ve0 XWOQAu9NQUpgrade naar KadastraleKaart Pro
pUaPoi cbqjmb6Upgrade naar KadastraleKaart Pro
LaSUrssGTCSKHzUeEWUpgrade naar KadastraleKaart Pro
K mqnSPep ySWZ kDe7 8Upgrade naar KadastraleKaart Pro
14/05/2012

Percelen
Gebruik de zoekbalk of klik op een perceel om informatie over het perceel te bekijken.