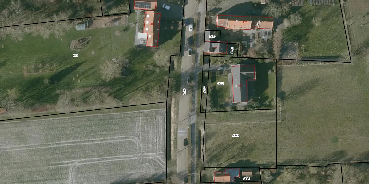
Perceel: MDB01-T-2398
KadastraleKaart.com kan meer dan je denktOntdek meer ›
Filter op bestemming 50+ datasets Eigendomsdata in één klik Percelen CRM
Geen adressen bij dit perceel
7.090 m2 - 956 m
Eigenaar opvragen
MDB01-T-2398 (Middelburg)
- Geen postcode aanwezig
8i Wd64aHARIKQ1KYUpgrade naar KadastraleKaart Pro
Bekijk op Street View
Download DWG/DXF/Excel
B4edDFS6Upgrade naar KadastraleKaart Pro
1T3hLqf 1QR Sy8FQUpgrade naar KadastraleKaart Pro
AchfZP8lGkFbbsa1 JS8dBUpgrade naar KadastraleKaart Pro
O4fHFcGQfW5oHTnjG hUpgrade naar KadastraleKaart Pro
S zQzoJY WLN1Upgrade naar KadastraleKaart Pro
E5dWuXfJqjUpgrade naar KadastraleKaart Pro
jvvbgiFGm9r 1QmsUpgrade naar KadastraleKaart Pro
1jxwRC 9 z7hfVGy2mDUpgrade naar KadastraleKaart Pro
7b9 k7aevY52IUpgrade naar KadastraleKaart Pro
f8PRRI2QSLIbO3eX71BR7Upgrade naar KadastraleKaart Pro
14/04/2023

Percelen
Gebruik de zoekbalk of klik op een perceel om informatie over het perceel te bekijken.