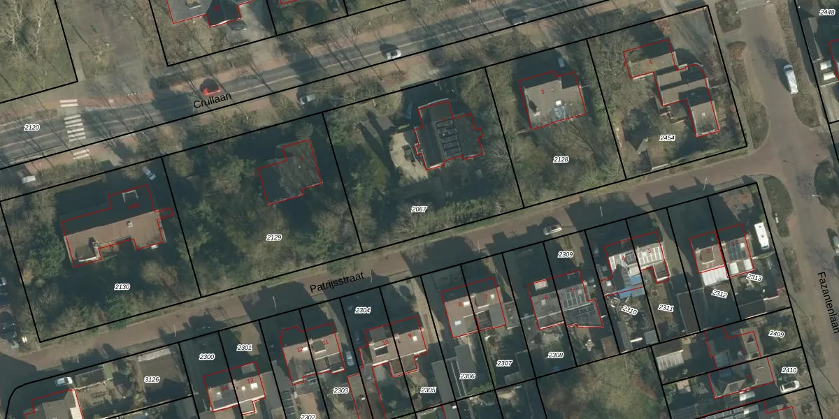
Perceel: MDE01-S-2067
KadastraleKaart.com kan meer dan je denktOntdek meer ›
Filter op bestemming 50+ datasets Eigendomsdata in één klik Percelen CRM
1.397 m2 - 150 m
Eigenaar opvragen
MDE01-S-2067 (Made en Drimmelen)
- 4921 VH
GSRL0aWXtifx HKPPDVlL2RUpgrade naar KadastraleKaart Pro
Verkoopprijs opvragen
Bekijk op Street View
Download DWG/DXF/Excel
Y7dFGy9WsIfUpgrade naar KadastraleKaart Pro
8lzpfN7e9Upgrade naar KadastraleKaart Pro
PaZ9bH8kg UUpgrade naar KadastraleKaart Pro
6Ux72E0Wh0b jaUpgrade naar KadastraleKaart Pro
ASWAoStgZP0fVIrUpgrade naar KadastraleKaart Pro
rDE1buycJoZglXVUpgrade naar KadastraleKaart Pro
SII893w0jrLXRUpgrade naar KadastraleKaart Pro
4AU4vZccUpgrade naar KadastraleKaart Pro
80DOqjuC1 DUpgrade naar KadastraleKaart Pro
si8f8QmDfDeFUpgrade naar KadastraleKaart Pro
29/01/2007

Percelen
Gebruik de zoekbalk of klik op een perceel om informatie over het perceel te bekijken.