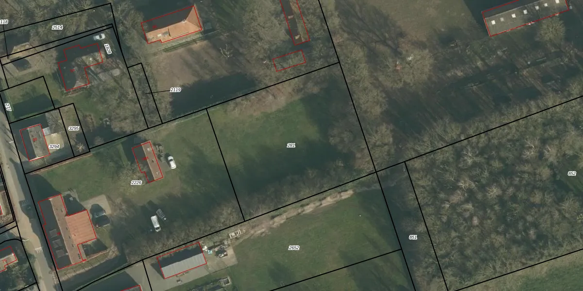
Perceel: MDE01-T-281
KadastraleKaart.com kan meer dan je denktOntdek meer ›
Filter op bestemming 50+ datasets Eigendomsdata in één klik Percelen CRM
Geen adressen bij dit perceel
1.920 m2 - 177 m
Eigenaar opvragen
MDE01-T-281 (Made en Drimmelen)
- Geen postcode aanwezig
fA46aUex2e wzvM 4 0PJlUpgrade naar KadastraleKaart Pro
Bekijk op Street View
Download DWG/DXF/Excel
45RQcE9lrAOIdiGUpgrade naar KadastraleKaart Pro
6DIYJXV17jg wcqUpgrade naar KadastraleKaart Pro
4qCDNpQTFJyaRNSUpgrade naar KadastraleKaart Pro
6RpfK5 DdOuVjJ yUpgrade naar KadastraleKaart Pro
lTWW9u59mybkeQ TUpgrade naar KadastraleKaart Pro
90yBZTxu yM ZUpgrade naar KadastraleKaart Pro
K5cQmM6b 3d rKAflDLKvMRUpgrade naar KadastraleKaart Pro
ZwU9F CkapK86Upgrade naar KadastraleKaart Pro
OQ14lUtdRiwGD6CzYxdsUpgrade naar KadastraleKaart Pro
o Jj55NAgOKWnjDy VUpgrade naar KadastraleKaart Pro
11/01/2012

Percelen
Gebruik de zoekbalk of klik op een perceel om informatie over het perceel te bekijken.