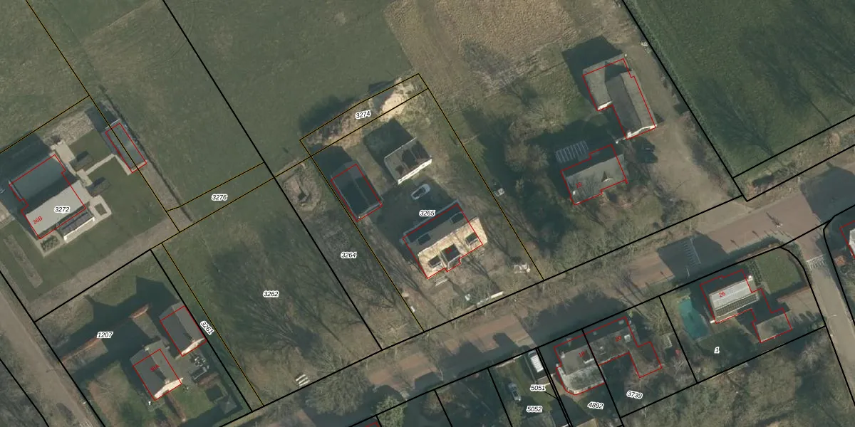
Perceel: MDE01-T-3265
KadastraleKaart.com kan meer dan je denktOntdek meer ›
Filter op bestemming 50+ datasets Eigendomsdata in één klik Percelen CRM
1.577 m2 - 164 m
Eigenaar opvragen
MDE01-T-3265 (Made en Drimmelen)
- 4921 SC
M pDa5eS00jL K b2sb6 pqUpgrade naar KadastraleKaart Pro
Bekijk op Street View
Download DWG/DXF/Excel
u 4nyzl6GUpgrade naar KadastraleKaart Pro
cxSdTXB gUpgrade naar KadastraleKaart Pro
BHLsa pI Z3EN3x0PUpgrade naar KadastraleKaart Pro
kwmcdfRW2nbuxGHCUpgrade naar KadastraleKaart Pro
E6MB XFeTulox7 UUpgrade naar KadastraleKaart Pro
yWtX HsfrwLUpgrade naar KadastraleKaart Pro
wNrw Jlsvkc CQ U7mUpgrade naar KadastraleKaart Pro
HTxsXaIYUpgrade naar KadastraleKaart Pro
muIv7eaOjUpgrade naar KadastraleKaart Pro
4cWBgZ5NlgzUpgrade naar KadastraleKaart Pro
20/12/2023

Percelen
Gebruik de zoekbalk of klik op een perceel om informatie over het perceel te bekijken.