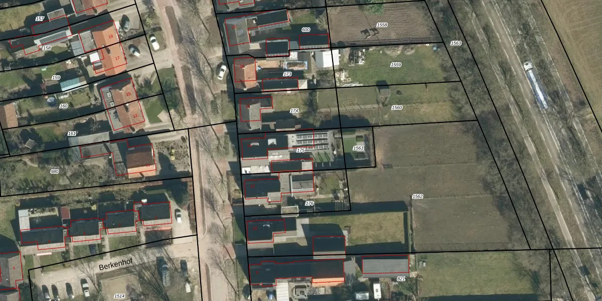
Perceel: MDE02-H-175
KadastraleKaart.com kan meer dan je denktOntdek meer ›
Filter op bestemming 50+ datasets Eigendomsdata in één klik Percelen CRM
465 m2 - 96 m
Eigenaar opvragen
MDE02-H-175 (Hooge en Lage Mierde)
- 5094 EB
bgCxLFksZG27ZX DmMpUpgrade naar KadastraleKaart Pro
Verkoopprijs opvragen
Bekijk op Street View
Download DWG/DXF/Excel
xJaZa2vB5oXiNfEUpgrade naar KadastraleKaart Pro
VOk1r4Z10gFUpgrade naar KadastraleKaart Pro
NFKfMrOy SUpgrade naar KadastraleKaart Pro
pt yITqY 6QUoFemUpgrade naar KadastraleKaart Pro
OSLJFa3OlfPP6 ifeUpgrade naar KadastraleKaart Pro
sdd8eXVkUpgrade naar KadastraleKaart Pro
UhwvaBuTOe 8LrUpgrade naar KadastraleKaart Pro
Ta2qPlRcGl90Xm4FUpgrade naar KadastraleKaart Pro
oep5sMW Upgrade naar KadastraleKaart Pro
c82jI6HqFwiUpgrade naar KadastraleKaart Pro
07/10/2005

Percelen
Gebruik de zoekbalk of klik op een perceel om informatie over het perceel te bekijken.