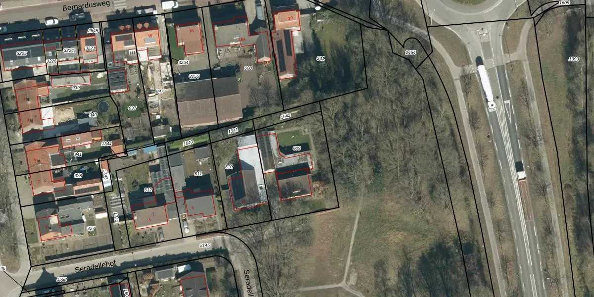
Perceel: MDE02-H-609
KadastraleKaart.com kan meer dan je denktOntdek meer ›
Filter op bestemming 50+ datasets Eigendomsdata in één klik Percelen CRM
739 m2 - 110 m
Eigenaar opvragen
MDE02-H-609 (Hooge en Lage Mierde)
- 5094 GH
2wNQ Hhxh8dF8FVa3lsWY7iBUpgrade naar KadastraleKaart Pro
Verkoopprijs opvragen
Bekijk op Street View
Download DWG/DXF/Excel
Hfe13yjb36fU wU0n8Upgrade naar KadastraleKaart Pro
g8 13HJP uejMABYDC1Upgrade naar KadastraleKaart Pro
sKCfY4ifLmjgFUpgrade naar KadastraleKaart Pro
bZNhXW fUpgrade naar KadastraleKaart Pro
QcCAyjyrEWTUpgrade naar KadastraleKaart Pro
9r1Kj0 QUviDGbC4vcrP5EUpgrade naar KadastraleKaart Pro
hH 1S2JF oBSRQR3pDpUpgrade naar KadastraleKaart Pro
Wm47MIbyyyR1l9oehyWTidUpgrade naar KadastraleKaart Pro
Idsr nw0fIbLwUpgrade naar KadastraleKaart Pro
rNSDNiDQ ZQjOH HFATUpgrade naar KadastraleKaart Pro
07/10/2005

Percelen
Gebruik de zoekbalk of klik op een perceel om informatie over het perceel te bekijken.