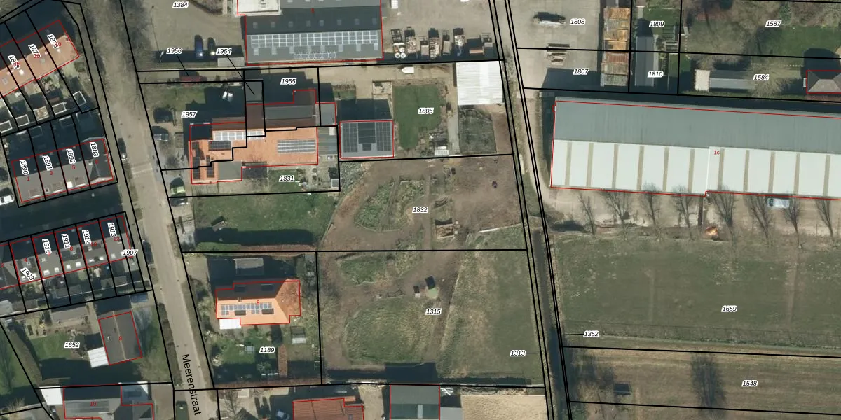
Perceel: MDL01-L-1832
KadastraleKaart.com kan meer dan je denktOntdek meer ›
Filter op bestemming 50+ datasets Eigendomsdata in één klik Percelen CRM
Geen adressen bij dit perceel
1.490 m2 - 208 m
Eigenaar opvragen
MDL01-L-1832 (Maasdriel)
- Geen postcode aanwezig
Bn3bRYFdQfIX0ZNWQ0HWB04Upgrade naar KadastraleKaart Pro
Bekijk op Street View
Download DWG/DXF/Excel
pelcY3IlmCSguNEldKozNS Upgrade naar KadastraleKaart Pro
Nzs kq9OfwWpuwKsnfEFpNUpgrade naar KadastraleKaart Pro
p G88j302eUpgrade naar KadastraleKaart Pro
htB5 BuVUpgrade naar KadastraleKaart Pro
zfzuFtJQ1q7Mwc2 OUpgrade naar KadastraleKaart Pro
FMWK4u5EKqajUpgrade naar KadastraleKaart Pro
a8eWV0wsUpgrade naar KadastraleKaart Pro
yGr4YxycI TS1Upgrade naar KadastraleKaart Pro
kPOon4Wv 7yfF n6ZUpgrade naar KadastraleKaart Pro
KbCjlZ WxN FZ bAi9qUpgrade naar KadastraleKaart Pro
30/11/2004

Percelen
Gebruik de zoekbalk of klik op een perceel om informatie over het perceel te bekijken.