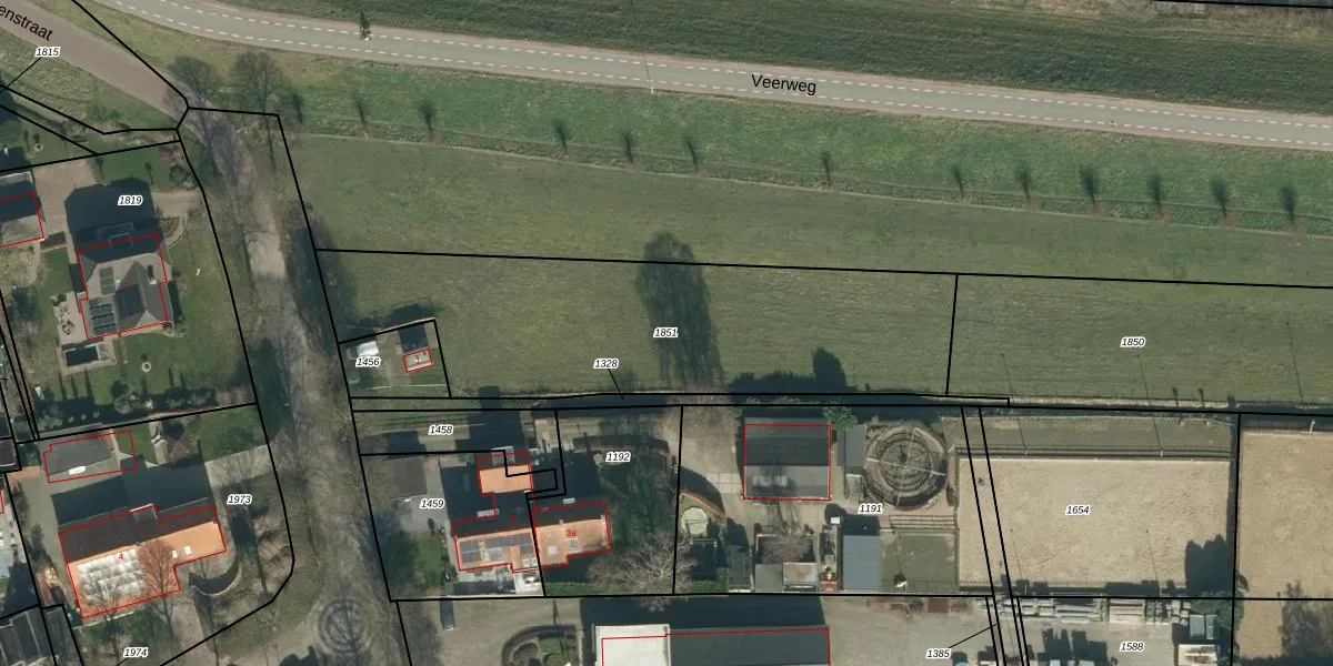
Perceel: MDL01-L-1851
Geen adressen bij dit perceel
1.795 m2 - 231 m
Eigenaar opvragen
MDL01-L-1851 (Maasdriel)
- Geen postcode aanwezig
BWfcKrGvaJ OOSh2Rv uJUpgrade naar KadastraleKaart Pro
Bekijk op Street View
Download DWG/DXF/Excel
to f2 FZ Upgrade naar KadastraleKaart Pro
iUFCkQ0 cCUpgrade naar KadastraleKaart Pro
b7 9MddVdwJkoUpgrade naar KadastraleKaart Pro
sKm J6LZxZ 3vPLiaYtCIUpgrade naar KadastraleKaart Pro
N3btBThv 9MpV6Upgrade naar KadastraleKaart Pro
6Rr 5b1 xgoUPKUpgrade naar KadastraleKaart Pro
jLR lx5T9KarRbWENlszX5Upgrade naar KadastraleKaart Pro
iIWV K HnUpgrade naar KadastraleKaart Pro
2w1mag4y2MwRu Upgrade naar KadastraleKaart Pro
yNvpdrrBB1z7bUpgrade naar KadastraleKaart Pro
22/10/2007

Percelen
Gebruik de zoekbalk of klik op een perceel om informatie over het perceel te bekijken.