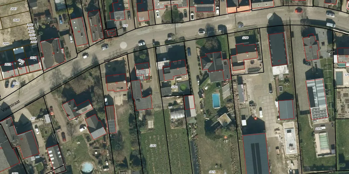
Perceel: MDL01-M-1262
KadastraleKaart.com kan meer dan je denktOntdek meer ›
Filter op bestemming 50+ datasets Eigendomsdata in één klik Percelen CRM
517 m2 - 94 m
Eigenaar opvragen
MDL01-M-1262 (Maasdriel)
- 5334 JP
J8vkAE9G VP t21fLUpgrade naar KadastraleKaart Pro
Verkoopprijs opvragen
Bekijk op Street View
Download DWG/DXF/Excel
bRkye7g3MPf3tDymxZd0zfUpgrade naar KadastraleKaart Pro
LkkthaBm UE3k7V0qiuUpgrade naar KadastraleKaart Pro
zORp2MS9UrkmzUpgrade naar KadastraleKaart Pro
ms9JPzTT2aX9d2Upgrade naar KadastraleKaart Pro
muSIVSTDffnnz74 Upgrade naar KadastraleKaart Pro
bkBWrLUH48Upgrade naar KadastraleKaart Pro
15wnsMG8xnnH8isBWUpgrade naar KadastraleKaart Pro
HHGHDetvPfIiHIIdq 48 11Upgrade naar KadastraleKaart Pro
C5sI sHUpgrade naar KadastraleKaart Pro
j NDBF8D1Rq8HLuFUBUpgrade naar KadastraleKaart Pro
16/11/2001

Percelen
Gebruik de zoekbalk of klik op een perceel om informatie over het perceel te bekijken.