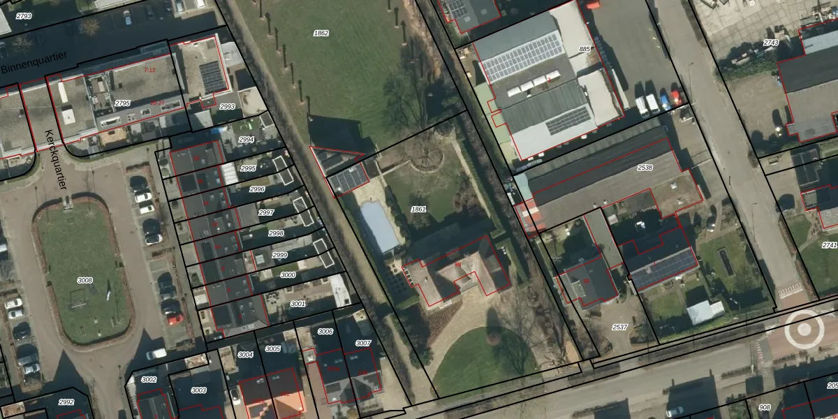
Perceel: MDL01-N-1861
2.290 m2 - 198 m
Eigenaar opvragen
MDL01-N-1861 (Maasdriel)
- 5331 CG
GXJH REYM HdTuEvfOUn2fFCUpgrade naar KadastraleKaart Pro
Verkoopprijs opvragen
Bekijk op Street View
Download DWG/DXF/Excel
M9tWRBCejG2S4AK64Upgrade naar KadastraleKaart Pro
7J RaSiIJzvyA5xfmuyUpgrade naar KadastraleKaart Pro
fIm9 dkWiDysUpgrade naar KadastraleKaart Pro
Q8kwg 7 jxHUpgrade naar KadastraleKaart Pro
LIvYj eP4Upgrade naar KadastraleKaart Pro
WY LVbjfQgU0D9Upgrade naar KadastraleKaart Pro
XdpII0e73VVkiUpgrade naar KadastraleKaart Pro
XI tWtjz7 7FnFSk3nUpgrade naar KadastraleKaart Pro
1 oPvkMtpeG4gCGqj uEJUpgrade naar KadastraleKaart Pro
K0Nr A241Upgrade naar KadastraleKaart Pro
08/02/2007

Percelen
Gebruik de zoekbalk of klik op een perceel om informatie over het perceel te bekijken.