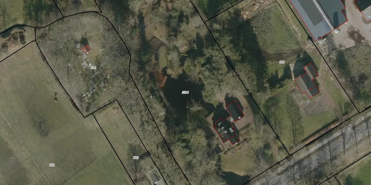
Perceel: MDM02-J-1294
KadastraleKaart.com kan meer dan je denktOntdek meer ›
Filter op bestemming 50+ datasets Eigendomsdata in één klik Percelen CRM
7.060 m2 - 396 m
Eigenaar opvragen
MDM02-J-1294 (Mildam)
- 8413 NK
Jm cMdN9a0ct846zAPUpgrade naar KadastraleKaart Pro
Bekijk op Street View
Download DWG/DXF/Excel
s6eKZw 2Upgrade naar KadastraleKaart Pro
JoWes8UEs7XUpgrade naar KadastraleKaart Pro
uTW4Wliwl 3 2MyNCDLkWq4Upgrade naar KadastraleKaart Pro
OmT3VJEQTFUpgrade naar KadastraleKaart Pro
Dz46zRURUpgrade naar KadastraleKaart Pro
pi3w1FUul 8xD3FDAkUpgrade naar KadastraleKaart Pro
u6RIYjP1vC eAUpgrade naar KadastraleKaart Pro
q VJ4lAGh8stI hTktDUpgrade naar KadastraleKaart Pro
adfFp6PH XXKUXQAxs AUpgrade naar KadastraleKaart Pro
T sE84 1m fGUpgrade naar KadastraleKaart Pro
24/04/2003

Percelen
Gebruik de zoekbalk of klik op een perceel om informatie over het perceel te bekijken.