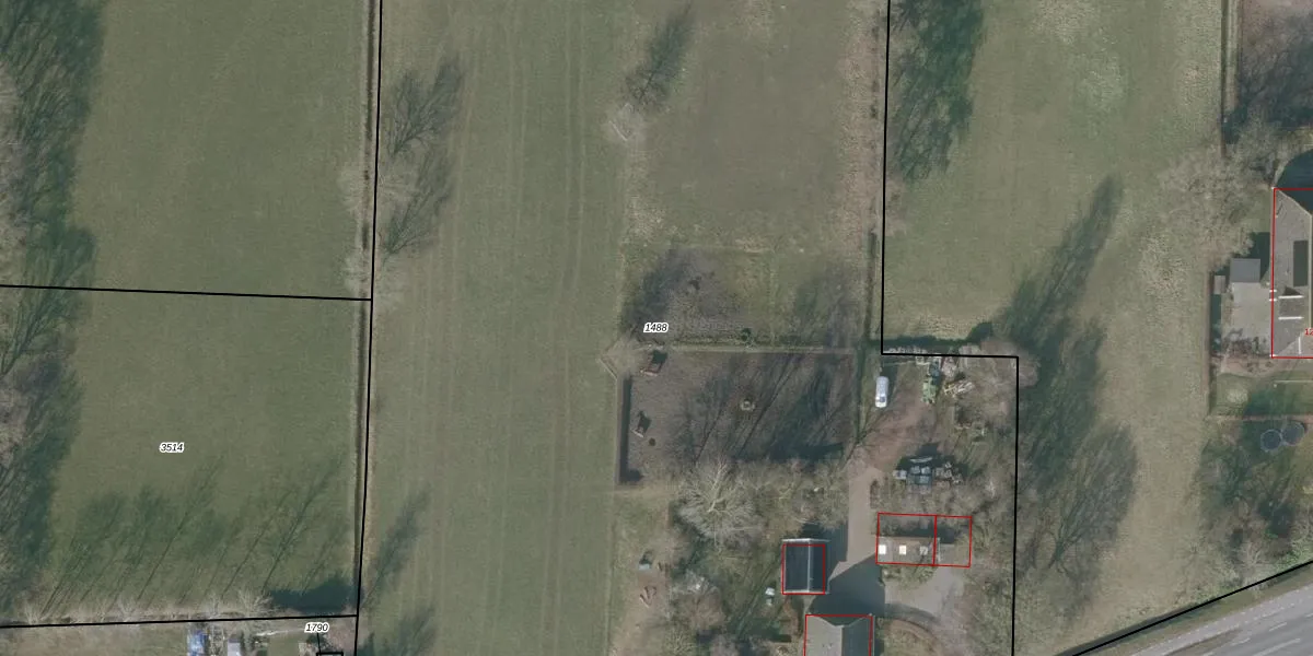
Perceel: MDM02-K-1488
KadastraleKaart.com kan meer dan je denktOntdek meer ›
Filter op bestemming 50+ datasets Eigendomsdata in één klik Percelen CRM
12.340 m2 - 487 m
Eigenaar opvragen
MDM02-K-1488 (Mildam)
- 8412 SP
fGwyeWXUJW3usw BeozhNDUpgrade naar KadastraleKaart Pro
Bekijk op Street View
Download DWG/DXF/Excel
zEU qifYhrp2rgUpgrade naar KadastraleKaart Pro
I fMXX4HqxSysATwAxUpgrade naar KadastraleKaart Pro
ka Sei5n5LgSJxOMGK0P9Upgrade naar KadastraleKaart Pro
p9ZwdDIPXUpgrade naar KadastraleKaart Pro
aATUJH Upgrade naar KadastraleKaart Pro
zd G ZVSdLliUpgrade naar KadastraleKaart Pro
uoFnA4IsJ1WIzOZ1u VmbUpgrade naar KadastraleKaart Pro
8xqMVNY l30yEO3ow4VTe Upgrade naar KadastraleKaart Pro
zwDo EgVT2FsJ1Verb8JRSUpgrade naar KadastraleKaart Pro
uPblLpPumYIZptc UnL bUpgrade naar KadastraleKaart Pro
21/12/2006

Percelen
Gebruik de zoekbalk of klik op een perceel om informatie over het perceel te bekijken.