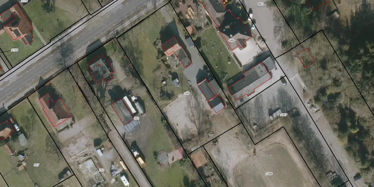
Perceel: MDM02-L-549
KadastraleKaart.com kan meer dan je denktOntdek meer ›
Filter op bestemming 50+ datasets Eigendomsdata in één klik Percelen CRM
2.460 m2 - 216 m
Eigenaar opvragen
MDM02-L-549 (Mildam)
- 8411 ZD
x8nH0 V lg 6RwXdQXA8XddOUpgrade naar KadastraleKaart Pro
Verkoopprijs opvragen
Bekijk op Street View
Download DWG/DXF/Excel
FH5HrZoR7cm7K5lBXisFUpgrade naar KadastraleKaart Pro
P9fhaCVxfcRk0fCZPUpgrade naar KadastraleKaart Pro
uypNLmbPFOUpgrade naar KadastraleKaart Pro
ie0 49LC rmD6pD2IUpgrade naar KadastraleKaart Pro
0DaxYVW Er eNIfUpgrade naar KadastraleKaart Pro
idB88yZndYUpgrade naar KadastraleKaart Pro
jbWE UHUpgrade naar KadastraleKaart Pro
PXI m feY k8 vga9Upgrade naar KadastraleKaart Pro
pPkilPD49m0er0Lnp3NKUpgrade naar KadastraleKaart Pro
bUiCsH 4a7b68qUpgrade naar KadastraleKaart Pro
02/05/2024

Percelen
Gebruik de zoekbalk of klik op een perceel om informatie over het perceel te bekijken.