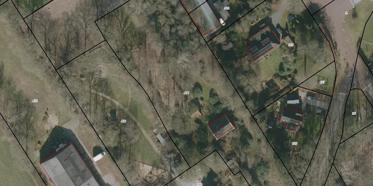
Perceel: MDM02-N-408
KadastraleKaart.com kan meer dan je denktOntdek meer ›
Filter op bestemming 50+ datasets Eigendomsdata in één klik Percelen CRM
5.150 m2 - 372 m
Eigenaar opvragen
MDM02-N-408 (Mildam)
- 8455 JM
H2AKBPUyN2u uLxNkWQGr94A9q nljrUpgrade naar KadastraleKaart Pro
Bekijk op Street View
Download DWG/DXF/Excel
l82Ax5CKpTJrUpgrade naar KadastraleKaart Pro
s jyaLFf8AeUpgrade naar KadastraleKaart Pro
bUSNlR lBPQfH h0Upgrade naar KadastraleKaart Pro
aKedB5XP1gEUpgrade naar KadastraleKaart Pro
VpTJ AUsG5tck0iZZsSqXrUpgrade naar KadastraleKaart Pro
P JwLime6tyjMlzlSUpgrade naar KadastraleKaart Pro
nFmcyUx4E72qK q9CnUpgrade naar KadastraleKaart Pro
Dt6 c1D UUpgrade naar KadastraleKaart Pro
s6xzkpp5v31Ho8raUpgrade naar KadastraleKaart Pro
UOngGEM8GUCo4 Upgrade naar KadastraleKaart Pro
23/11/2023

Percelen
Gebruik de zoekbalk of klik op een perceel om informatie over het perceel te bekijken.