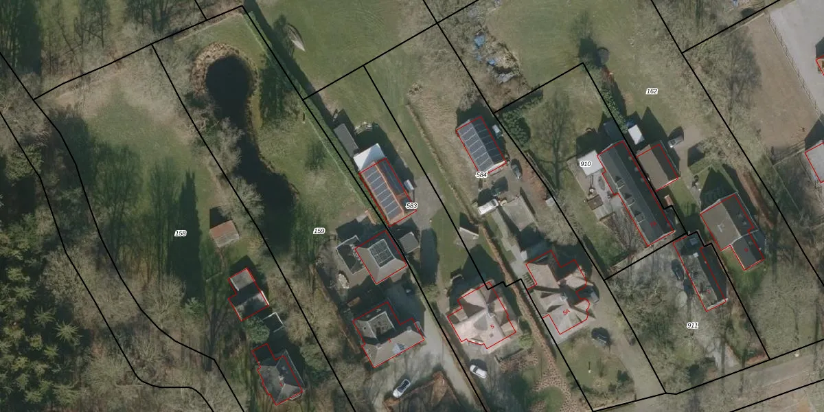
Perceel: MDM02-N-583
KadastraleKaart.com kan meer dan je denktOntdek meer ›
Filter op bestemming 50+ datasets Eigendomsdata in één klik Percelen CRM
1.740 m2 - 244 m
Eigenaar opvragen
MDM02-N-583 (Mildam)
- 8453 JG
C5 PK3G PEL4Ok9LmmyF zFUpgrade naar KadastraleKaart Pro
Bekijk op Street View
Download DWG/DXF/Excel
7F4r DUk3iYB KvUpgrade naar KadastraleKaart Pro
Mgzstt4knupUpgrade naar KadastraleKaart Pro
a5EoWz7 5 p opjq59DUYMUpgrade naar KadastraleKaart Pro
18soHXt Zynty 3n9g jUpgrade naar KadastraleKaart Pro
XxdczmQoQUpgrade naar KadastraleKaart Pro
x57F sL8ZV Pxt 2CJTRb Upgrade naar KadastraleKaart Pro
qay kx6Z6ma4ekp26q NUUpgrade naar KadastraleKaart Pro
NOzteFqHtnAw3K2SGjCaGeUpgrade naar KadastraleKaart Pro
5U uAt gY1HQVuUpgrade naar KadastraleKaart Pro
Xdh SakHNrAQUpgrade naar KadastraleKaart Pro
15/01/1998

Percelen
Gebruik de zoekbalk of klik op een perceel om informatie over het perceel te bekijken.