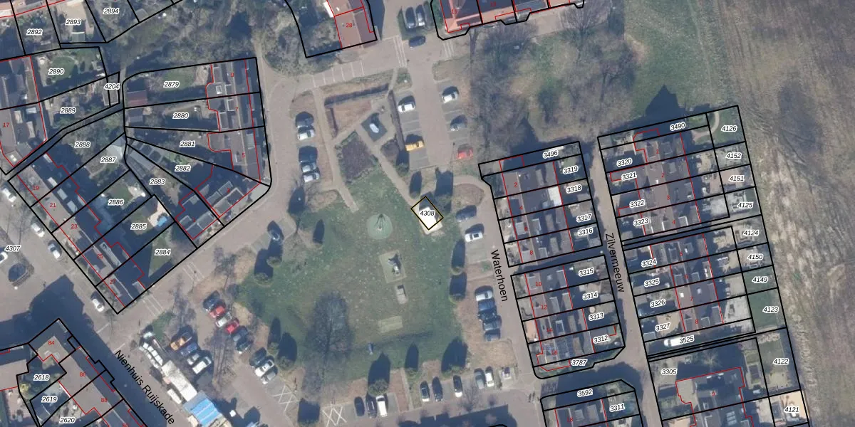
Perceel: MDN01-C-4308
KadastraleKaart.com kan meer dan je denktOntdek meer ›
Filter op bestemming 50+ datasets Eigendomsdata in één klik Percelen CRM
Geen adressen bij dit perceel
29 m2 - 22 m
Eigenaar opvragen
MDN01-C-4308 (Muiden)
- Geen postcode aanwezig
0S67ZS Ti5Kva3Ly cHM0fhk 3F GUpgrade naar KadastraleKaart Pro
Bekijk op Street View
Download DWG/DXF/Excel
1uWhCy adCU7 V3bj8j0KUpgrade naar KadastraleKaart Pro
c8C0zzfNXLgIs3 2OwshKUpgrade naar KadastraleKaart Pro
5o049xaNH3DKhCXLf Upgrade naar KadastraleKaart Pro
sVbOdQVPhYot5X7yDUpgrade naar KadastraleKaart Pro
nb e7ABnkQtUpgrade naar KadastraleKaart Pro
h560SM6lB5NI7acJ83EhUpgrade naar KadastraleKaart Pro
tBMaMSV lDL2LRXUpgrade naar KadastraleKaart Pro
8FMU0ah8EASKOUpgrade naar KadastraleKaart Pro
8a9o6zi9cYqriI4QiDUpgrade naar KadastraleKaart Pro
3soUWSWqZFmGbvnV fHqkUpgrade naar KadastraleKaart Pro
29/11/2023

Percelen
Gebruik de zoekbalk of klik op een perceel om informatie over het perceel te bekijken.