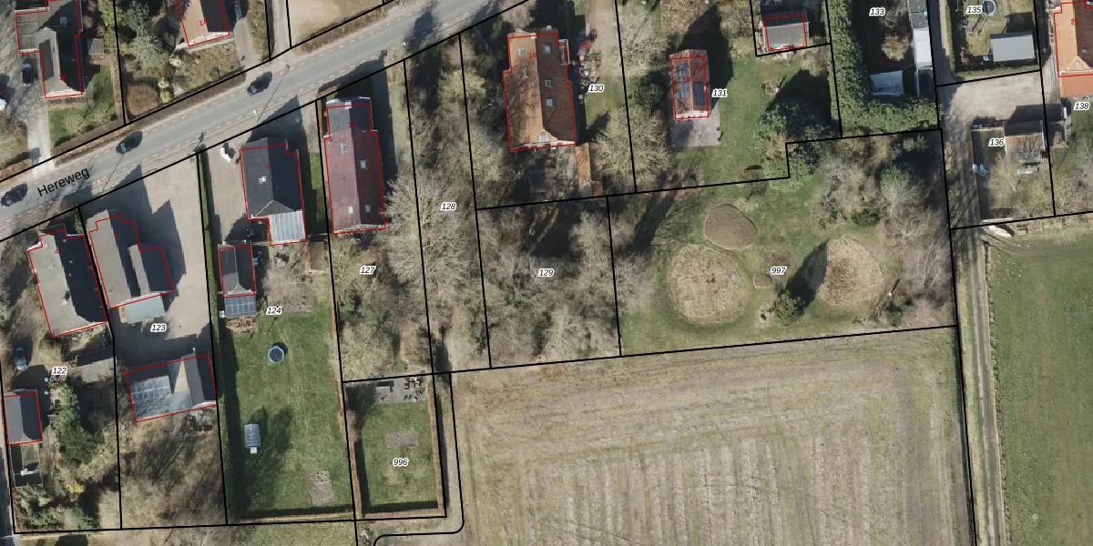
Perceel: MDN02-G-129
KadastraleKaart.com kan meer dan je denktOntdek meer ›
Filter op bestemming 50+ datasets Eigendomsdata in één klik Percelen CRM
Geen adressen bij dit perceel
700 m2 - 107 m
Eigenaar opvragen
MDN02-G-129 (Meeden)
- Geen postcode aanwezig
r13lH 4Qym1Vk6gY1GOZW aC idcUpgrade naar KadastraleKaart Pro
Bekijk op Street View
Download DWG/DXF/Excel
Uw TfavZ J Wh5oNnKNUpgrade naar KadastraleKaart Pro
y QCESCQXcY dJi TMsUpgrade naar KadastraleKaart Pro
GqsUJc TYTUpgrade naar KadastraleKaart Pro
hp 5APo8xYL Upgrade naar KadastraleKaart Pro
q UeCdamiehcNZUpgrade naar KadastraleKaart Pro
gVlTNmEF4Ss8Upgrade naar KadastraleKaart Pro
rwISLnKUUpgrade naar KadastraleKaart Pro
ohPUjFwnhsdce49m6AUpgrade naar KadastraleKaart Pro
QW359WhYpXOA pef8Upgrade naar KadastraleKaart Pro
IbRWV9yXvJUpgrade naar KadastraleKaart Pro
08/05/2006

Percelen
Gebruik de zoekbalk of klik op een perceel om informatie over het perceel te bekijken.