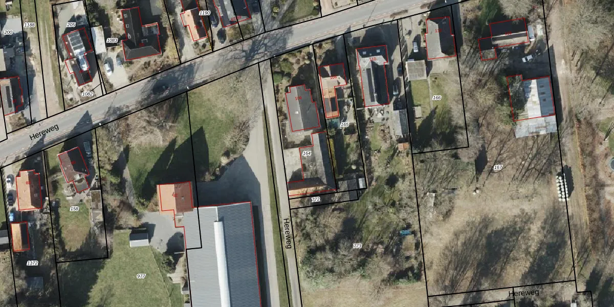
Perceel: MDN02-G-164
KadastraleKaart.com kan meer dan je denktOntdek meer ›
Filter op bestemming 50+ datasets Eigendomsdata in één klik Percelen CRM
710 m2 - 126 m
Eigenaar opvragen
MDN02-G-164 (Meeden)
- 9651 AM
70OG 1 V4h0LwIfWZQ6ull3Upgrade naar KadastraleKaart Pro
Bekijk op Street View
Download DWG/DXF/Excel
4uE4d kyYC Yl3 vSUpgrade naar KadastraleKaart Pro
ZiSNvP7GAm uQZPQoe80HUpgrade naar KadastraleKaart Pro
S5 FP8wc12BqAgxu09jODaUpgrade naar KadastraleKaart Pro
gRZf rpjovgPQYUUpgrade naar KadastraleKaart Pro
8ve7wxPPoX NUlRUJoCi5WJUpgrade naar KadastraleKaart Pro
EtnNvlB q34zsAuUpgrade naar KadastraleKaart Pro
EH mcRTiMmLfUpgrade naar KadastraleKaart Pro
dya9 E1Uc 1kVmUpgrade naar KadastraleKaart Pro
iGcGFDSdd7rIcjUpgrade naar KadastraleKaart Pro
JBlvrtJC FrSxbrj0usoNUpgrade naar KadastraleKaart Pro
04/10/1999

Percelen
Gebruik de zoekbalk of klik op een perceel om informatie over het perceel te bekijken.