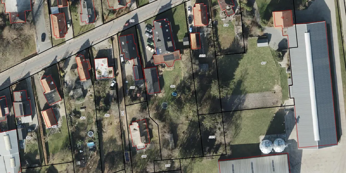
Perceel: MDN02-G-350
KadastraleKaart.com kan meer dan je denktOntdek meer ›
Filter op bestemming 50+ datasets Eigendomsdata in één klik Percelen CRM
2.310 m2 - 226 m
Eigenaar opvragen
MDN02-G-350 (Meeden)
- 9651 AL
WFaicBsGpd045FnQmLZVhwOCqHNUpgrade naar KadastraleKaart Pro
Bekijk op Street View
Download DWG/DXF/Excel
oBgSEDopBVJr51LvSVi92PUpgrade naar KadastraleKaart Pro
jO8HCBPA4Q5KpIYATVpUpgrade naar KadastraleKaart Pro
JqVzZVkYI8Upgrade naar KadastraleKaart Pro
ET0v bGGpUpgrade naar KadastraleKaart Pro
5cJKfPXnYtFQ dUpgrade naar KadastraleKaart Pro
UXQsSSIoatG Dnb4nn bUpgrade naar KadastraleKaart Pro
QSyN Q3Mp0WjbtUpgrade naar KadastraleKaart Pro
3xDuIYL8c8iYHv UUpgrade naar KadastraleKaart Pro
qnc2u8zEBguyUpgrade naar KadastraleKaart Pro
tlj72yfqmY txAdmUpgrade naar KadastraleKaart Pro
27/05/2022

Percelen
Gebruik de zoekbalk of klik op een perceel om informatie over het perceel te bekijken.