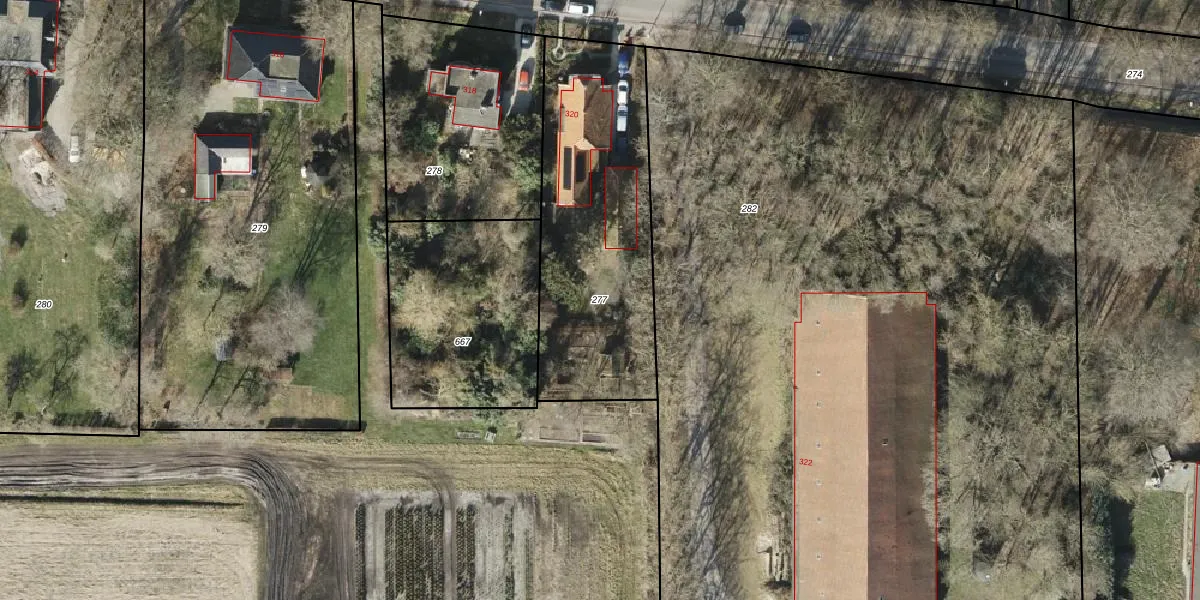
Perceel: MDN02-H-277
KadastraleKaart.com kan meer dan je denktOntdek meer ›
Filter op bestemming 50+ datasets Eigendomsdata in één klik Percelen CRM
1.130 m2 - 157 m
Eigenaar opvragen
MDN02-H-277 (Meeden)
- 9651 AS
ym1XYUh9beSOizKgt3eUpgrade naar KadastraleKaart Pro
Bekijk op Street View
Download DWG/DXF/Excel
SIJKJ7ChYGldKFEd OVQZbUpgrade naar KadastraleKaart Pro
qmSkB6X u o1AGShUpgrade naar KadastraleKaart Pro
UNXEZyW QsCIVw sUpgrade naar KadastraleKaart Pro
Uw8b1S0iz mUpgrade naar KadastraleKaart Pro
XW4MWZd28B4p6T2LG5BHUpgrade naar KadastraleKaart Pro
wKQ pDFgRX GTv6Upgrade naar KadastraleKaart Pro
rHD 4a19iAzebd5uaUpgrade naar KadastraleKaart Pro
lY9wnOK5XuUpgrade naar KadastraleKaart Pro
YI hbu7 zPLbK2R78mWHGUpgrade naar KadastraleKaart Pro
m jfr3y6FE6eFzUB0oCom Upgrade naar KadastraleKaart Pro
21/01/2002

Percelen
Gebruik de zoekbalk of klik op een perceel om informatie over het perceel te bekijken.