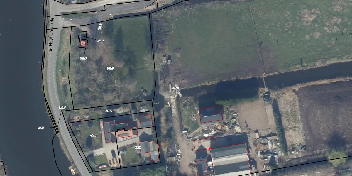
Perceel: MDT01-C-9411
25.505 m2 - 961 m
Eigenaar opvragen
MDT01-C-9411 (Mijdrecht)
- 1426 AD
xjAT b m J MdCubsUpgrade naar KadastraleKaart Pro
Bekijk op Street View
Download DWG/DXF/Excel
c7Wi78OnK v uKz2 iLaKUpgrade naar KadastraleKaart Pro
ufFkxPWjX9V cjCfUpgrade naar KadastraleKaart Pro
cZlsh201G pyGwGt1spNHYTUpgrade naar KadastraleKaart Pro
2K TnF5ZdUpgrade naar KadastraleKaart Pro
rpx7eOOH9 OhJZFUpgrade naar KadastraleKaart Pro
h3jxY4v 5qENXBHR Upgrade naar KadastraleKaart Pro
H1g 6qESg2 hIcAiUpgrade naar KadastraleKaart Pro
fgxlcqM1 4Upgrade naar KadastraleKaart Pro
Z PpBK7q6XrrHvMdgSIUpgrade naar KadastraleKaart Pro
VDaPCh FXttLA4 OzhUpgrade naar KadastraleKaart Pro
19/06/2018

Percelen
Gebruik de zoekbalk of klik op een perceel om informatie over het perceel te bekijken.