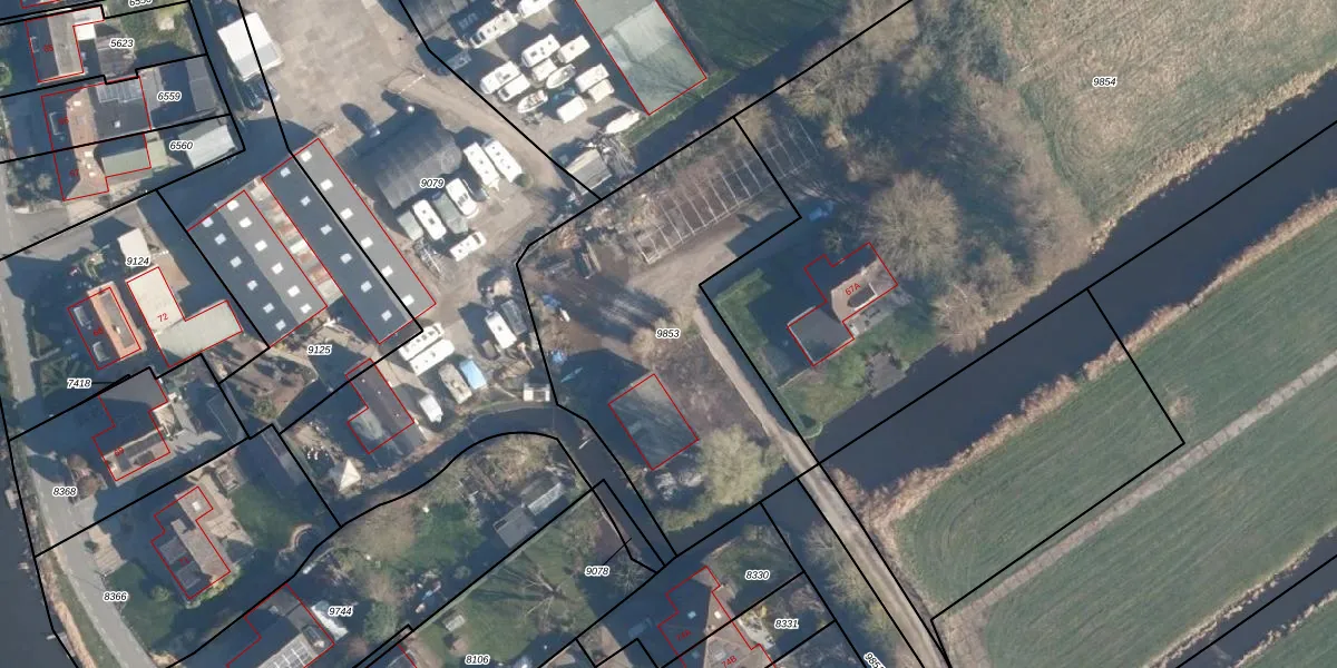
Perceel: MDT01-C-9853
Geen adressen bij dit perceel
1.654 m2 - 185 m
Eigenaar opvragen
MDT01-C-9853 (Mijdrecht)
- Geen postcode aanwezig
59UntiJyg nUT1I6qnbNiBR VVUpgrade naar KadastraleKaart Pro
Bekijk op Street View
Download DWG/DXF/Excel
GC5H Xq8Upgrade naar KadastraleKaart Pro
mHgA4Bh4BwNsUpgrade naar KadastraleKaart Pro
LB8wnjHpwN mpkV BUpgrade naar KadastraleKaart Pro
c7gXl7g W0Eue3bOarmcdRUpgrade naar KadastraleKaart Pro
txM2EvDQJPUpgrade naar KadastraleKaart Pro
kKNOAbfob YzabPUpgrade naar KadastraleKaart Pro
h6bZOPX j1dui dkQ6FUpgrade naar KadastraleKaart Pro
CukwA9LM 5JI yJE 7FWwUpgrade naar KadastraleKaart Pro
4A wVSu1G5Hgd a Q1YDQUpgrade naar KadastraleKaart Pro
jlFzqKzDiwr mFI lfUpgrade naar KadastraleKaart Pro
11/12/2024

Percelen
Gebruik de zoekbalk of klik op een perceel om informatie over het perceel te bekijken.