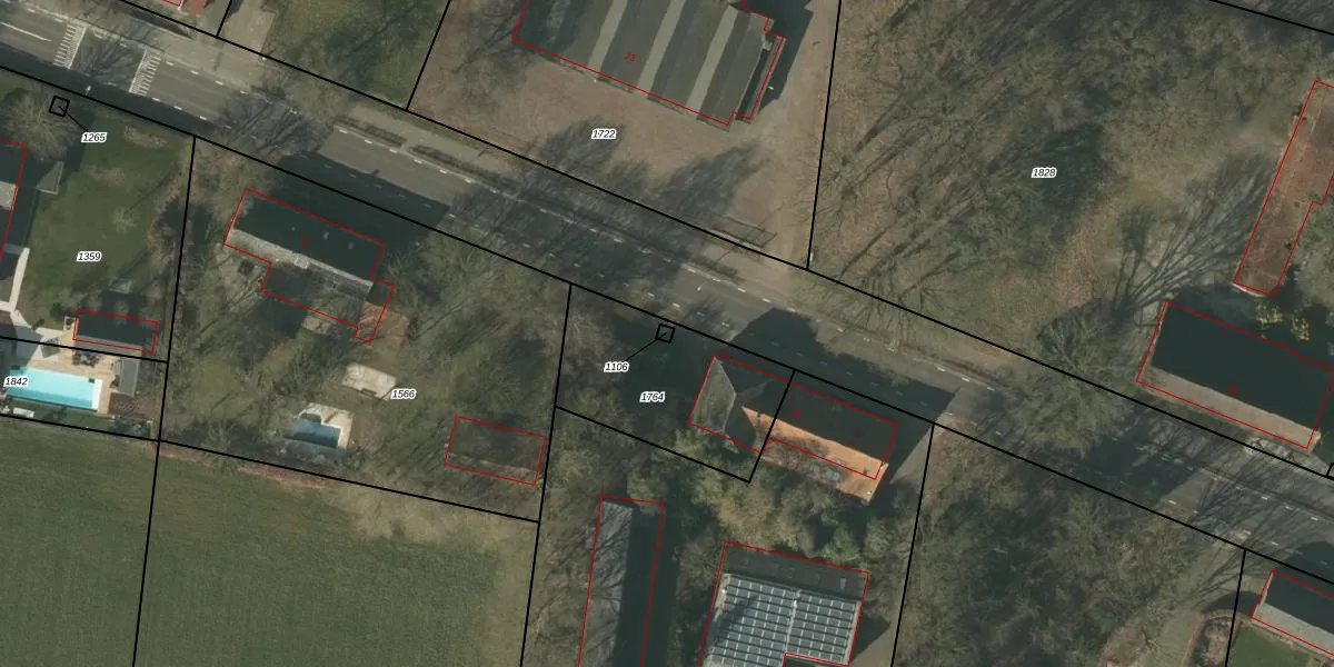
Perceel: MEL00-F-1106
Geen adressen bij dit perceel
4 m2 - 9 m
Eigenaar opvragen
MEL00-F-1106 (Meijel)
- Geen postcode aanwezig
kXQ0wj9HKn 8jz8OaRHvxzfUpgrade naar KadastraleKaart Pro
Bekijk op Street View
Download DWG/DXF/Excel
2bBn9rJTRqUpgrade naar KadastraleKaart Pro
BVqe1 z ra57Upgrade naar KadastraleKaart Pro
6mpgXE4NUpgrade naar KadastraleKaart Pro
eI3luxN7mQDUpgrade naar KadastraleKaart Pro
m06PypHkwUpgrade naar KadastraleKaart Pro
ER2knO2Upgrade naar KadastraleKaart Pro
Y0Hiah3xooa113vjlbj8L 4Upgrade naar KadastraleKaart Pro
ML2Trt6zeUpgrade naar KadastraleKaart Pro
BCzDXrVbWTi9TgAB5XKp Upgrade naar KadastraleKaart Pro
UE Jpm9bt2VF9D gH 978Upgrade naar KadastraleKaart Pro
22/08/2006

Percelen
Gebruik de zoekbalk of klik op een perceel om informatie over het perceel te bekijken.