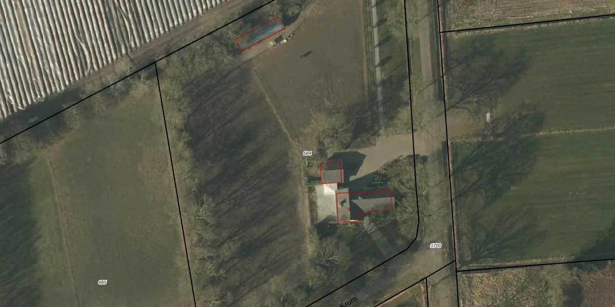
Perceel: MEL00-F-684
KadastraleKaart.com kan meer dan je denktOntdek meer ›
Filter op bestemming 50+ datasets Eigendomsdata in één klik Percelen CRM
7.880 m2 - 370 m
Eigenaar opvragen
MEL00-F-684 (Meijel)
- 5768 RG
FmZ PGGjasQ7axMFm0NnYlBZwLHfd7Upgrade naar KadastraleKaart Pro
Verkoopprijs opvragen
Bekijk op Street View
Download DWG/DXF/Excel
RZn DBMGy 2an6F fbHUpgrade naar KadastraleKaart Pro
zQL8rAOpu73Upgrade naar KadastraleKaart Pro
P Z12ZBbUUpgrade naar KadastraleKaart Pro
Dpa iySuUpgrade naar KadastraleKaart Pro
WGTJeilcEbgUpgrade naar KadastraleKaart Pro
8vl A6 x7MdlOUpgrade naar KadastraleKaart Pro
hSp5Ob0funs2BanI0fOoRwUpgrade naar KadastraleKaart Pro
a 4diCk3AXXppVHwoa7jCUpgrade naar KadastraleKaart Pro
E4g4XCJpSwYOMOUpgrade naar KadastraleKaart Pro
lfF8XGnw fF VPP WtUpgrade naar KadastraleKaart Pro
24/08/2006

Percelen
Gebruik de zoekbalk of klik op een perceel om informatie over het perceel te bekijken.