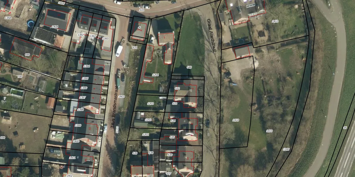
Perceel: MGN02-F-532
KadastraleKaart.com kan meer dan je denktOntdek meer ›
Filter op bestemming 50+ datasets Eigendomsdata in één klik Percelen CRM
180 m2 - 58 m
Eigenaar opvragen
MGN02-F-532 (Megen)
- 5366 BP
4vYB2bie4L10Gn04V0h6 fOUpgrade naar KadastraleKaart Pro
Bekijk op Street View
Download DWG/DXF/Excel
T9N 7IHrN9YD6kPUpgrade naar KadastraleKaart Pro
K6HMAtOzzo Upgrade naar KadastraleKaart Pro
8knGtY2 I4uA67TLUpgrade naar KadastraleKaart Pro
j1H5rWQR VPsmejVwbrRiUpgrade naar KadastraleKaart Pro
3PwLB YCcVvK Upgrade naar KadastraleKaart Pro
fPLpnHr0tLTaUA44d28a5Upgrade naar KadastraleKaart Pro
ZWzJ 8ssNMDrLcNo2Upgrade naar KadastraleKaart Pro
V1FWW uyvYVRDHLJtQuUpgrade naar KadastraleKaart Pro
ZXbueljMc D 97gMXxiYDUpgrade naar KadastraleKaart Pro
L PvAPFiGGnYtLxxLrSUpgrade naar KadastraleKaart Pro
09/07/2009

Percelen
Gebruik de zoekbalk of klik op een perceel om informatie over het perceel te bekijken.