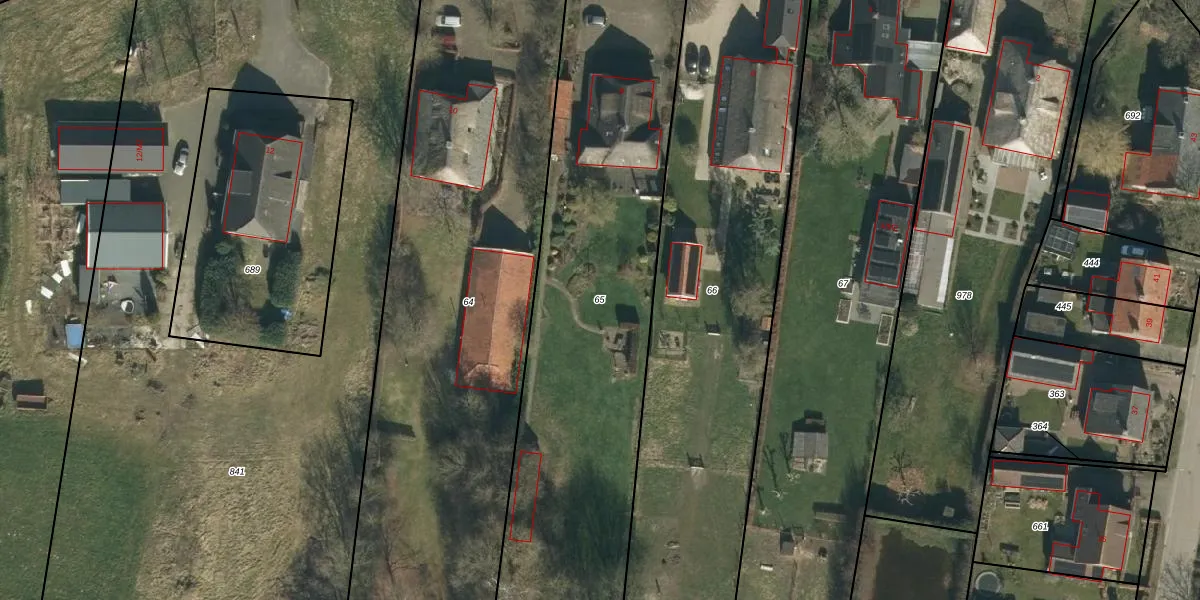
Perceel: MGN02-G-65
KadastraleKaart.com kan meer dan je denktOntdek meer ›
Filter op bestemming 50+ datasets Eigendomsdata in één klik Percelen CRM
4.080 m2 - 444 m
Eigenaar opvragen
MGN02-G-65 (Megen)
- 5368 AG
ACrowXve6 mHivo2SpKvQnldjpUpgrade naar KadastraleKaart Pro
Bekijk op Street View
Download DWG/DXF/Excel
paWYgk8PhYAxWmiUUpgrade naar KadastraleKaart Pro
iFTAVGJHW0 N4Upgrade naar KadastraleKaart Pro
rbJ7l4uzW9YSK3DgimnSUpgrade naar KadastraleKaart Pro
XXZcHCjF wpUpgrade naar KadastraleKaart Pro
J3 PZ574ZzalUpgrade naar KadastraleKaart Pro
n2gP 9EOIXUpgrade naar KadastraleKaart Pro
4 Sky qYAvwSpej6Upgrade naar KadastraleKaart Pro
6tVrhe 2piSqZ qUpgrade naar KadastraleKaart Pro
lOL4Av9 Upgrade naar KadastraleKaart Pro
B HTQ7OUpgrade naar KadastraleKaart Pro
10/07/2009

Percelen
Gebruik de zoekbalk of klik op een perceel om informatie over het perceel te bekijken.