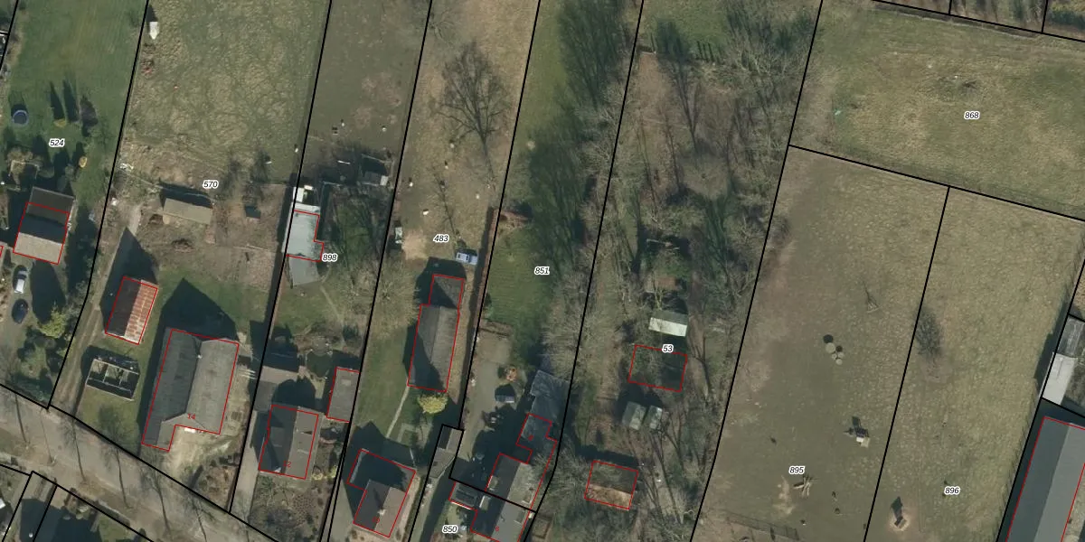
Perceel: MGN02-G-851
KadastraleKaart.com kan meer dan je denktOntdek meer ›
Filter op bestemming 50+ datasets Eigendomsdata in één klik Percelen CRM
1.910 m2 - 244 m
Eigenaar opvragen
MGN02-G-851 (Megen)
- 5368 AR
HoZFF9ADd2BzLQJOFsXUpgrade naar KadastraleKaart Pro
Bekijk op Street View
Download DWG/DXF/Excel
Iq022xkA58 Upgrade naar KadastraleKaart Pro
OguQWAaM6k HCqCbbl3phDUpgrade naar KadastraleKaart Pro
cNRGDEENVDUpgrade naar KadastraleKaart Pro
b7zUDzt UmcTaOkQwJ LUpgrade naar KadastraleKaart Pro
g S LTWscsSHKsUpgrade naar KadastraleKaart Pro
9vR6WR4M4xX0BUpgrade naar KadastraleKaart Pro
rX bxsynCdGQibNbf2Upgrade naar KadastraleKaart Pro
Lhf fZJBJQiUpgrade naar KadastraleKaart Pro
NW20qHsnUpgrade naar KadastraleKaart Pro
wwEQ 8tRuezdRkh ip5nG7 Upgrade naar KadastraleKaart Pro
10/07/2009

Percelen
Gebruik de zoekbalk of klik op een perceel om informatie over het perceel te bekijken.