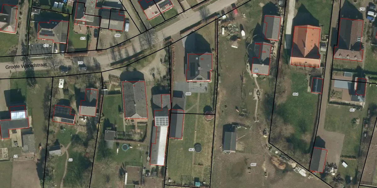
Perceel: MGN02-G-888
KadastraleKaart.com kan meer dan je denktOntdek meer ›
Filter op bestemming 50+ datasets Eigendomsdata in één klik Percelen CRM
1.075 m2 - 140 m
Eigenaar opvragen
MGN02-G-888 (Megen)
- 5368 AH
33G8W8OpR8dX Gts WSD kqUpgrade naar KadastraleKaart Pro
Verkoopprijs opvragen
Bekijk op Street View
Download DWG/DXF/Excel
SRgQn2RruKqEUpgrade naar KadastraleKaart Pro
BAWGAQU3S93TEUpgrade naar KadastraleKaart Pro
3lpG 8crTla8EUpgrade naar KadastraleKaart Pro
Zy7n05WQD1Upgrade naar KadastraleKaart Pro
K6vgLpxn 8K0yqsHUpgrade naar KadastraleKaart Pro
oWQYLSSIjgP4QY1Upgrade naar KadastraleKaart Pro
Z j 6KDlK xYGohaDMUpgrade naar KadastraleKaart Pro
9lX2WweeMPyV7U Upgrade naar KadastraleKaart Pro
k pxeflHNWg jsgfldUpgrade naar KadastraleKaart Pro
9adO6vGc 8o EwBL lz3 Upgrade naar KadastraleKaart Pro
11/10/2011

Percelen
Gebruik de zoekbalk of klik op een perceel om informatie over het perceel te bekijken.