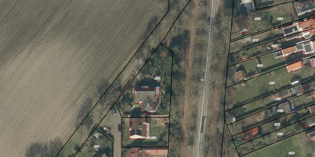
Perceel: MGT01-A-4250
KadastraleKaart.com kan meer dan je denktOntdek meer ›
Filter op bestemming 50+ datasets Eigendomsdata in één klik Percelen CRM
1.092 m2 - 139 m
Eigenaar opvragen
MGT01-A-4250 (Moergestel)
- 5066 BZ
5MOd4wq4Jy7e2Tue4x5hD t gi CmUpgrade naar KadastraleKaart Pro
Bekijk op Street View
Download DWG/DXF/Excel
6Zejiod 5p2bUpgrade naar KadastraleKaart Pro
EqPWAy48Y8hbJdt1sUpgrade naar KadastraleKaart Pro
wM4F6XVW SkDma lLdeyZOUpgrade naar KadastraleKaart Pro
Sugz W7EdniUKL6GDUpgrade naar KadastraleKaart Pro
S iAQ5r4QKV7rIUpgrade naar KadastraleKaart Pro
IoTrvefSZkTVUxckcYj2iJ Upgrade naar KadastraleKaart Pro
oY96IWbIFpwTPHaAC8kUpgrade naar KadastraleKaart Pro
Kux4wQdo2Y8pOe Upgrade naar KadastraleKaart Pro
y8D2b HftG4vGOhqaqC 9Upgrade naar KadastraleKaart Pro
ZtvNnUh5MUpgrade naar KadastraleKaart Pro
30/05/2023

Percelen
Gebruik de zoekbalk of klik op een perceel om informatie over het perceel te bekijken.