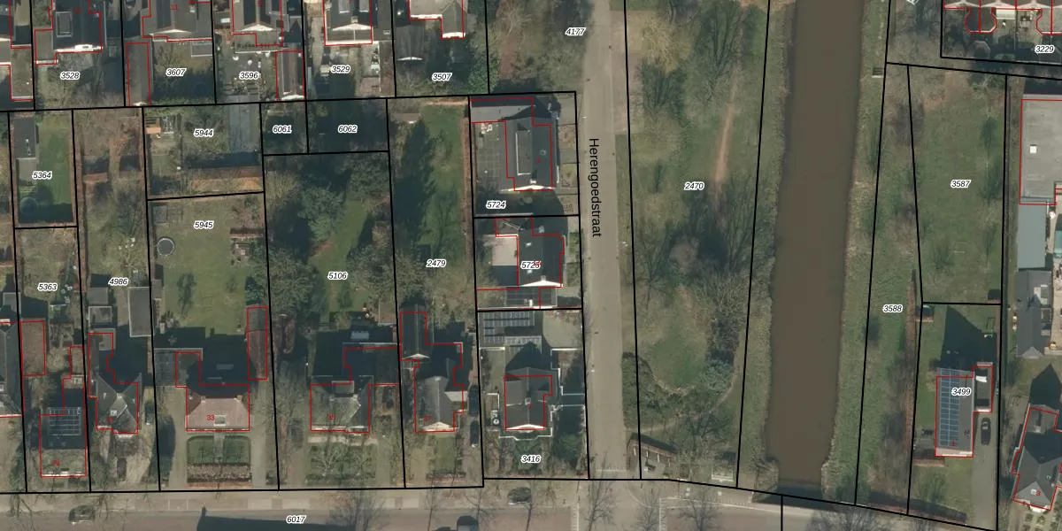
Perceel: MGT01-A-5725
352 m2 - 75 m
Eigenaar opvragen
MGT01-A-5725 (Moergestel)
- 5066 AD
w3ufCrQiD1JaqGjA1OqfdX c10Upgrade naar KadastraleKaart Pro
Bekijk op Street View
Download DWG/DXF/Excel
btt1QudQYEzA joUpgrade naar KadastraleKaart Pro
ikpfXU5 TZd3 ei6GUpgrade naar KadastraleKaart Pro
nMzNdwP9NE2N lUpgrade naar KadastraleKaart Pro
hVLK1kE3UK4Upgrade naar KadastraleKaart Pro
9JNQqECEG1BPUpgrade naar KadastraleKaart Pro
wyKr 60n hooOu6EUpgrade naar KadastraleKaart Pro
lV xDtnoWwUpgrade naar KadastraleKaart Pro
tjkc3rFON Upgrade naar KadastraleKaart Pro
UoadqY2 aGA JM c5ZUpgrade naar KadastraleKaart Pro
RmEN6Vt 35Uf aaUpgrade naar KadastraleKaart Pro
04/08/2009

Percelen
Gebruik de zoekbalk of klik op een perceel om informatie over het perceel te bekijken.