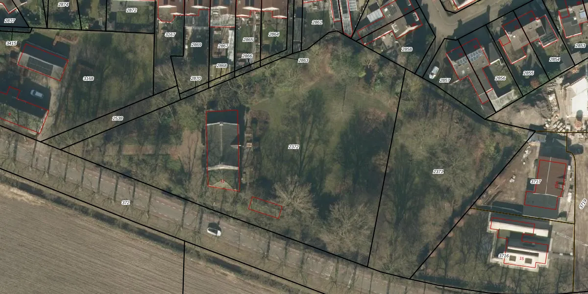
Perceel: MGT01-B-2372
KadastraleKaart.com kan meer dan je denktOntdek meer ›
Filter op bestemming 50+ datasets Eigendomsdata in één klik Percelen CRM
4.815 m2 - 310 m
Eigenaar opvragen
MGT01-B-2372 (Moergestel)
- 5066 CG
ee5evwWokxy8MJR zQriLUpgrade naar KadastraleKaart Pro
Verkoopprijs opvragen
Bekijk op Street View
Download DWG/DXF/Excel
yYCcVziHZ mfvUpgrade naar KadastraleKaart Pro
tHjyWzVHW9Upgrade naar KadastraleKaart Pro
lH7LTBZXuMrc5FX DV7LJyUpgrade naar KadastraleKaart Pro
i9SyOBExhgXLNr0ph52tUpgrade naar KadastraleKaart Pro
CwsvSvVbF3k90Upgrade naar KadastraleKaart Pro
SPUdCNkpq uWQu0nUpgrade naar KadastraleKaart Pro
iZwP JvxUpgrade naar KadastraleKaart Pro
EseskZSONCLUpgrade naar KadastraleKaart Pro
g oJRaPaT DiW5tUpgrade naar KadastraleKaart Pro
IIj9u vZUpgrade naar KadastraleKaart Pro
14/06/2010

Percelen
Gebruik de zoekbalk of klik op een perceel om informatie over het perceel te bekijken.