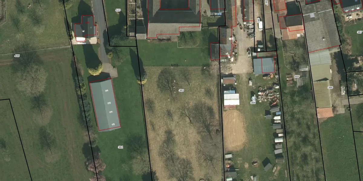
Perceel: MGT02-N-383
KadastraleKaart.com kan meer dan je denktOntdek meer ›
Filter op bestemming 50+ datasets Eigendomsdata in één klik Percelen CRM
5.189 m2 - 330 m
Eigenaar opvragen
MGT02-N-383 (Margraten)
- 6252 NG
F1VWmdwM 6 Qxe2i djUpgrade naar KadastraleKaart Pro
Bekijk op Street View
Download DWG/DXF/Excel
XkPQDNzmH30vUpgrade naar KadastraleKaart Pro
5qlvkZyGWVGUpgrade naar KadastraleKaart Pro
ucMGlMrUQt2RiMUpgrade naar KadastraleKaart Pro
USTxm3FieQTGiS0Upgrade naar KadastraleKaart Pro
82Dui3dCnG3Upgrade naar KadastraleKaart Pro
u3zD3c2DIhos55ydMLIGUpgrade naar KadastraleKaart Pro
rzRaqj04ZyUpgrade naar KadastraleKaart Pro
ZDgdr DKN 2Qw K9SYjJNxUpgrade naar KadastraleKaart Pro
plfa9aUpgrade naar KadastraleKaart Pro
tKdr0HDbNj1qn5YRzbFbABUpgrade naar KadastraleKaart Pro
11/06/2008

Percelen
Gebruik de zoekbalk of klik op een perceel om informatie over het perceel te bekijken.