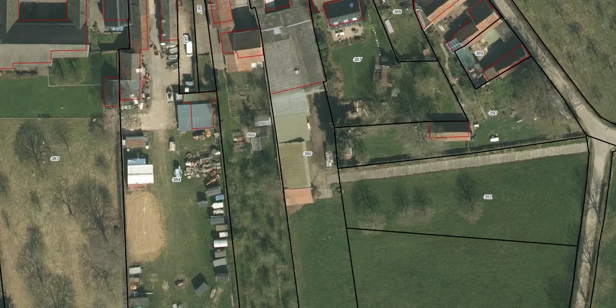
Perceel: MGT02-N-386
KadastraleKaart.com kan meer dan je denktOntdek meer ›
Filter op bestemming 50+ datasets Eigendomsdata in één klik Percelen CRM
2.312 m2 - 291 m
Eigenaar opvragen
MGT02-N-386 (Margraten)
- 6251 ND
LE34K jROkzv2CzdYSUpgrade naar KadastraleKaart Pro
Bekijk op Street View
Download DWG/DXF/Excel
1S x2HpgOzsTfUpgrade naar KadastraleKaart Pro
PSpl5 lV KSpoVdys9 Upgrade naar KadastraleKaart Pro
KHkWUS52fMQKIUpgrade naar KadastraleKaart Pro
MpazeB Q 9hzR2 lUpgrade naar KadastraleKaart Pro
d0Gqy1iwe5VzIHVbICoDUpgrade naar KadastraleKaart Pro
HPvFCPhRUpgrade naar KadastraleKaart Pro
3hveHm36K603CZSUpgrade naar KadastraleKaart Pro
nY0B41AnQnF1t 4tKMshBUpgrade naar KadastraleKaart Pro
TnKN9UTi AHc6y9Upgrade naar KadastraleKaart Pro
m9pKweAs x jUpgrade naar KadastraleKaart Pro
21/03/2014

Percelen
Gebruik de zoekbalk of klik op een perceel om informatie over het perceel te bekijken.