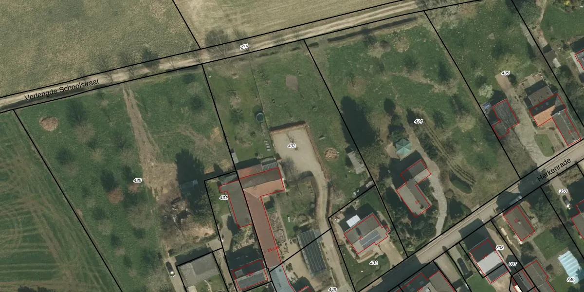
Perceel: MGT02-N-432
KadastraleKaart.com kan meer dan je denktOntdek meer ›
Filter op bestemming 50+ datasets Eigendomsdata in één klik Percelen CRM
2.628 m2 - 216 m
Eigenaar opvragen
MGT02-N-432 (Margraten)
- 6265 NH
kHzEiv9 vKZK6RG0j LNhXKEPEiUpgrade naar KadastraleKaart Pro
Bekijk op Street View
Download DWG/DXF/Excel
1cnXLeaTVvdMtjzswUpgrade naar KadastraleKaart Pro
qBO bhCrfJjUpgrade naar KadastraleKaart Pro
jHXr7mdKUpgrade naar KadastraleKaart Pro
JByiZNRMn7NXlJ2inUpgrade naar KadastraleKaart Pro
P4WxbJYXmgeg7BUpgrade naar KadastraleKaart Pro
2nFt U8gXF7swTZ lUpgrade naar KadastraleKaart Pro
88GquHAQ26iCcsuy7a4Upgrade naar KadastraleKaart Pro
g3H8N59PUp3LSUpgrade naar KadastraleKaart Pro
6xBkNcbiFBJW8LVAW4 f1RUpgrade naar KadastraleKaart Pro
CV 3SNlfnhCNri IUpgrade naar KadastraleKaart Pro
08/09/2008

Percelen
Gebruik de zoekbalk of klik op een perceel om informatie over het perceel te bekijken.