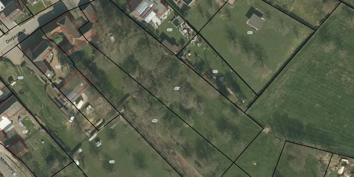
Perceel: MGT02-N-487
KadastraleKaart.com kan meer dan je denktOntdek meer ›
Filter op bestemming 50+ datasets Eigendomsdata in één klik Percelen CRM
3.013 m2 - 291 m
Eigenaar opvragen
MGT02-N-487 (Margraten)
- 6252 ND
LJ0xxziu tHDUcMixjnVqp4x5Upgrade naar KadastraleKaart Pro
Bekijk op Street View
Download DWG/DXF/Excel
8 TYljh Upgrade naar KadastraleKaart Pro
8s 6TcT 0exx xmIpnuIvUpgrade naar KadastraleKaart Pro
Ej4Ab1UBWUpgrade naar KadastraleKaart Pro
pZ x9AQpWkt d6bOUpgrade naar KadastraleKaart Pro
Ej14uROa 0jbeFm Oe1OUpgrade naar KadastraleKaart Pro
Ud1qYack9IV4y AvUUpgrade naar KadastraleKaart Pro
GBaTxU9s0b CJ9bUpgrade naar KadastraleKaart Pro
N PbI4kGC 9IDLUpgrade naar KadastraleKaart Pro
EUsN6OCHUpgrade naar KadastraleKaart Pro
RtP7DyzqX9hSOk5ymoUwNzUpgrade naar KadastraleKaart Pro
11/06/2008

Percelen
Gebruik de zoekbalk of klik op een perceel om informatie over het perceel te bekijken.