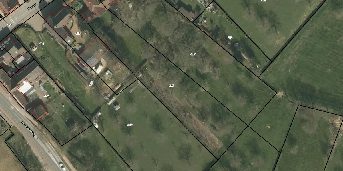
Perceel: MGT02-N-488
KadastraleKaart.com kan meer dan je denktOntdek meer ›
Filter op bestemming 50+ datasets Eigendomsdata in één klik Percelen CRM
2.701 m2 - 319 m
Eigenaar opvragen
MGT02-N-488 (Margraten)
- 6252 ND
QNPT64gqmbHyR4obUgFXTIp 7dP Upgrade naar KadastraleKaart Pro
Bekijk op Street View
Download DWG/DXF/Excel
d 6RUFXq9w2Mhwnq d7 PVUpgrade naar KadastraleKaart Pro
UtFgQ6ckZVUpgrade naar KadastraleKaart Pro
IgNhk0yXE1uUpgrade naar KadastraleKaart Pro
k01rRBsknr Wgwdfy zETmUpgrade naar KadastraleKaart Pro
7w6Z F1lCTe bW9BDUpgrade naar KadastraleKaart Pro
V7AC6d9Cq93ePtpzdqO9RUpgrade naar KadastraleKaart Pro
fJwxMRWTBccxK g qKV Upgrade naar KadastraleKaart Pro
msefrKdfC492tEiB Kzx sUpgrade naar KadastraleKaart Pro
mYlhZaUS OG2MYp4PwVO15Upgrade naar KadastraleKaart Pro
ahg 260kUpgrade naar KadastraleKaart Pro
11/06/2008

Percelen
Gebruik de zoekbalk of klik op een perceel om informatie over het perceel te bekijken.