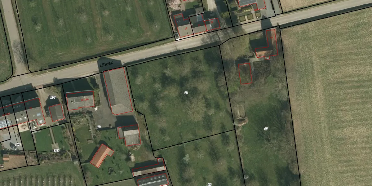
Perceel: MGT02-S-63
KadastraleKaart.com kan meer dan je denktOntdek meer ›
Filter op bestemming 50+ datasets Eigendomsdata in één klik Percelen CRM
Geen adressen bij dit perceel
2.283 m2 - 192 m
Eigenaar opvragen
MGT02-S-63 (Margraten)
- Geen postcode aanwezig
NK8GT jXt3PrpKRe QVkaUpgrade naar KadastraleKaart Pro
Bekijk op Street View
Download DWG/DXF/Excel
wWr9 al4Upgrade naar KadastraleKaart Pro
CgzVwaEqgBUpgrade naar KadastraleKaart Pro
D l FEbJPHLa Upgrade naar KadastraleKaart Pro
D6v8n oYWEIovIYkyUpgrade naar KadastraleKaart Pro
tVI1mS12Q8LTFQ9tq8F8AgUpgrade naar KadastraleKaart Pro
38e0Yu0dw LwuUpgrade naar KadastraleKaart Pro
t itGbarvQKHVUpgrade naar KadastraleKaart Pro
we 6N4BhSpopeInM2 KUpgrade naar KadastraleKaart Pro
6nrFM1mWH90paWrHiUhdaUpgrade naar KadastraleKaart Pro
Od 5DOdEgNArckJ9 EtUpgrade naar KadastraleKaart Pro
04/05/2011

Percelen
Gebruik de zoekbalk of klik op een perceel om informatie over het perceel te bekijken.