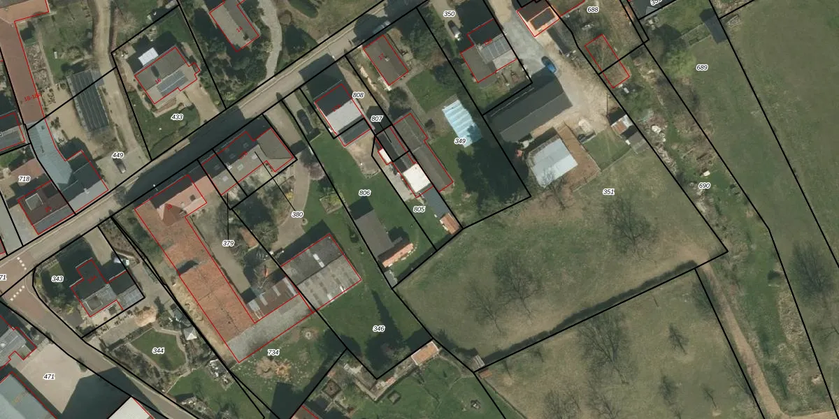
Perceel: MGT02-T-805
Geen adressen bij dit perceel
208 m2 - 76 m
Eigenaar opvragen
MGT02-T-805 (Margraten)
- Geen postcode aanwezig
wMVqUAOlY zhhH9ZoeMbWUObDUiSUpgrade naar KadastraleKaart Pro
Bekijk op Street View
Download DWG/DXF/Excel
nLFgFdZ6aX ENqhwBFcXUpgrade naar KadastraleKaart Pro
YB0fxfqgGaFAspmcUpgrade naar KadastraleKaart Pro
HW3MjkC1 Upgrade naar KadastraleKaart Pro
mAY 93DdT4TYFb8J7 rbTUpgrade naar KadastraleKaart Pro
FLA x tU NQSudUpgrade naar KadastraleKaart Pro
Hqn71hj eHYZ 65GO2KUpgrade naar KadastraleKaart Pro
MerT3UfmCzUpgrade naar KadastraleKaart Pro
MbfB9vEbH4mmJY8x Upgrade naar KadastraleKaart Pro
1HUFBgt Fvie3Upgrade naar KadastraleKaart Pro
fU1DsjZO27 n4ejavUpgrade naar KadastraleKaart Pro
15/12/2023

Percelen
Gebruik de zoekbalk of klik op een perceel om informatie over het perceel te bekijken.