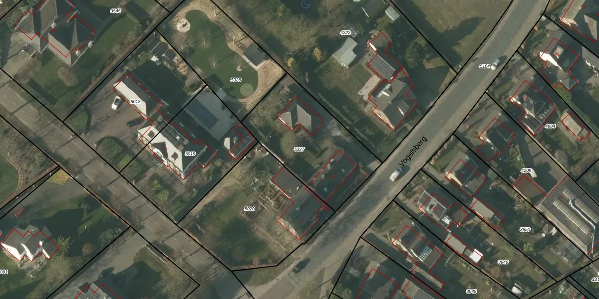
Perceel: MHZ00-A-5327
KadastraleKaart.com kan meer dan je denktOntdek meer ›
Filter op bestemming 50+ datasets Eigendomsdata in één klik Percelen CRM
1.030 m2 - 133 m
Eigenaar opvragen
MHZ00-A-5327 (Maarheeze)
- 6026 ED
Xc MNTnDffZNGcBg sOPgR 3uRE u6Upgrade naar KadastraleKaart Pro
Bekijk op Street View
Download DWG/DXF/Excel
uWjznt6TBMUpgrade naar KadastraleKaart Pro
DshfKmBCxOiYIRUpgrade naar KadastraleKaart Pro
uuIKWYi4t8MXUpgrade naar KadastraleKaart Pro
9DOar47 BBmEWbFUpgrade naar KadastraleKaart Pro
dMm37U wqFUpgrade naar KadastraleKaart Pro
jiFO5lwJdM 5t0sLpkmUpgrade naar KadastraleKaart Pro
jHJD44e3njz hEUpgrade naar KadastraleKaart Pro
GqG6cH4upaj8awMHIqyjCUpgrade naar KadastraleKaart Pro
GmtfA5sy0 tAIf CUpgrade naar KadastraleKaart Pro
ZAuJuwKtKD2dUl5jUpgrade naar KadastraleKaart Pro
16/08/2024

Percelen
Gebruik de zoekbalk of klik op een perceel om informatie over het perceel te bekijken.