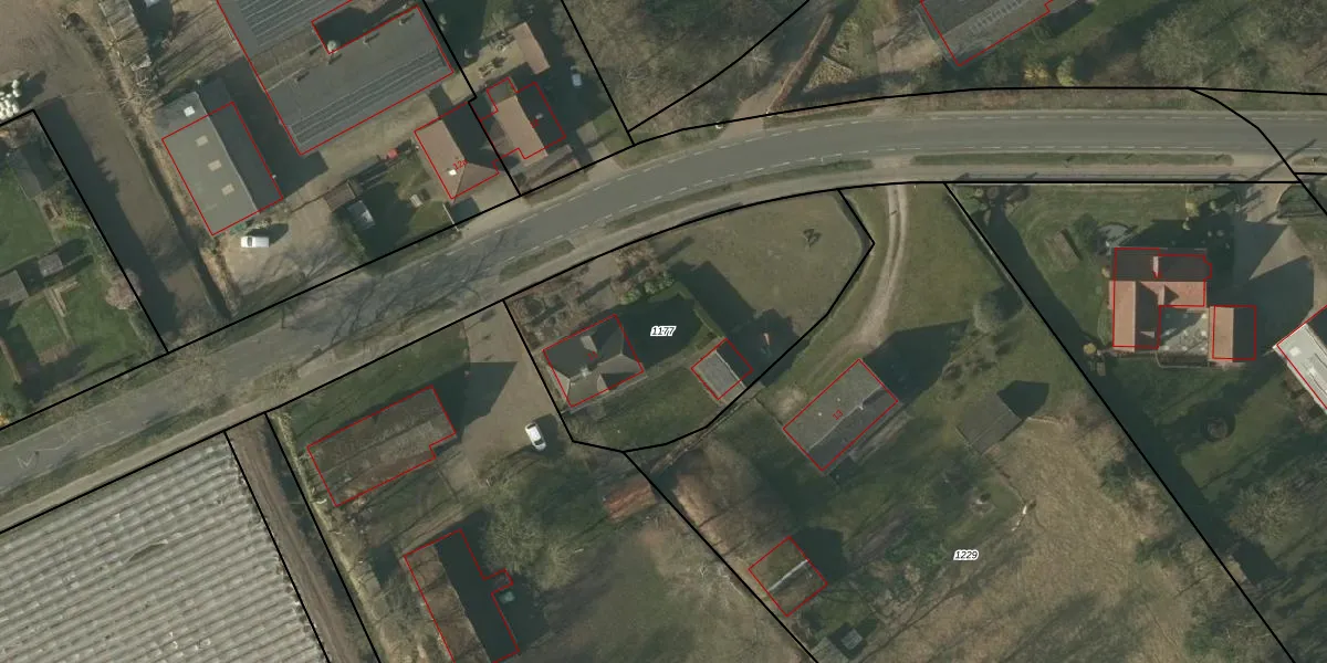
Perceel: MHZ00-B-1177
KadastraleKaart.com kan meer dan je denktOntdek meer ›
Filter op bestemming 50+ datasets Eigendomsdata in één klik Percelen CRM
1.325 m2 - 146 m
Eigenaar opvragen
MHZ00-B-1177 (Maarheeze)
- 6026 RG
Z2NJEYiFUI 72uxuARILe NbTteUpgrade naar KadastraleKaart Pro
Bekijk op Street View
Download DWG/DXF/Excel
07 Pl6 35d8 g3pWfaUe Upgrade naar KadastraleKaart Pro
Dg 509 rujb8hn GVaUpgrade naar KadastraleKaart Pro
5kEQLwBKUpgrade naar KadastraleKaart Pro
02LY Xb7Q PBRxUpgrade naar KadastraleKaart Pro
Ms9Njip Upgrade naar KadastraleKaart Pro
8n HKliNUpgrade naar KadastraleKaart Pro
G5 fEYHeUUpgrade naar KadastraleKaart Pro
Wo M9I IKkjKUpgrade naar KadastraleKaart Pro
fqOm1SIEp8F9NwUpgrade naar KadastraleKaart Pro
fg2WuE1 gT icD6pIqNUpgrade naar KadastraleKaart Pro
08/03/2005

Percelen
Gebruik de zoekbalk of klik op een perceel om informatie over het perceel te bekijken.