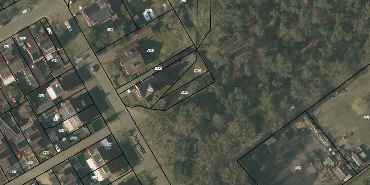
Perceel: MHZ00-D-1870
KadastraleKaart.com kan meer dan je denktOntdek meer ›
Filter op bestemming 50+ datasets Eigendomsdata in één klik Percelen CRM
Geen adressen bij dit perceel
232 m2 - 85 m
Eigenaar opvragen
MHZ00-D-1870 (Maarheeze)
- Geen postcode aanwezig
35V h sENOKGckRlSkuHMUpgrade naar KadastraleKaart Pro
Bekijk op Street View
Download DWG/DXF/Excel
oykjZ5 xEUpgrade naar KadastraleKaart Pro
LzMlb7 EDrRjZ aX4Upgrade naar KadastraleKaart Pro
ZbMePSOiCxz4VQD 6vNUpgrade naar KadastraleKaart Pro
KxgWPDeWVvAZnz1Bb3zBUpgrade naar KadastraleKaart Pro
7Lk2IodLychzG1fOgbUpgrade naar KadastraleKaart Pro
5Kiw9lpeKN57TD07lXUpgrade naar KadastraleKaart Pro
86nmj6XDwUUpgrade naar KadastraleKaart Pro
TH JtJkuPUpgrade naar KadastraleKaart Pro
11mHvRHNIzTl6nu7V1XUpgrade naar KadastraleKaart Pro
HRtv4XOS7gAYUpgrade naar KadastraleKaart Pro
09/10/2017

Percelen
Gebruik de zoekbalk of klik op een perceel om informatie over het perceel te bekijken.