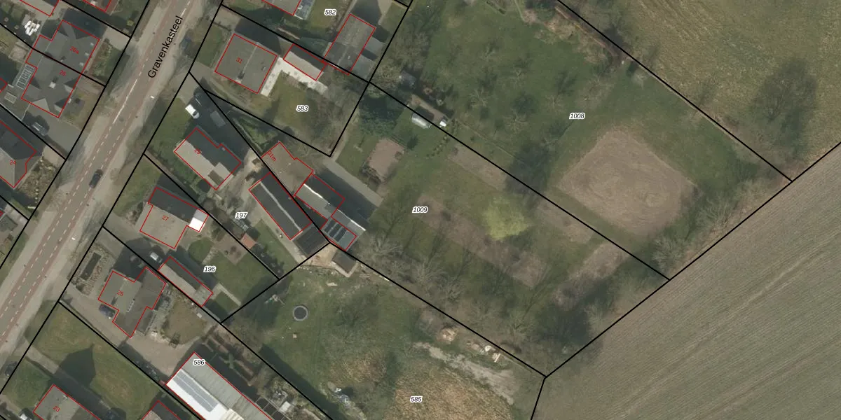
Perceel: MHZ00-G-1009
KadastraleKaart.com kan meer dan je denktOntdek meer ›
Filter op bestemming 50+ datasets Eigendomsdata in één klik Percelen CRM
3.050 m2 - 285 m
Eigenaar opvragen
MHZ00-G-1009 (Maarheeze)
- 6028 RK
vq6SQT7KF BrKxULu2zSG7n4i KUpgrade naar KadastraleKaart Pro
Verkoopprijs opvragen
Bekijk op Street View
Download DWG/DXF/Excel
m8kuSeWIi ZhUpgrade naar KadastraleKaart Pro
l0wggmKYa0 W7BpQUpgrade naar KadastraleKaart Pro
brYnszTOTB4W WhV tMUpgrade naar KadastraleKaart Pro
VgzFSJGD6uaX8nUpgrade naar KadastraleKaart Pro
bNa 7cvBJfVZe8OUpgrade naar KadastraleKaart Pro
NnhNYaZHURtUUpgrade naar KadastraleKaart Pro
qfNdgQi dh6d RUpgrade naar KadastraleKaart Pro
ig6vnVdbIAQYDD V8Upgrade naar KadastraleKaart Pro
6mTx5VkKlWg7 b7RnNZzaoUpgrade naar KadastraleKaart Pro
RO6o5fvT44HmPUpgrade naar KadastraleKaart Pro
15/03/2005

Percelen
Gebruik de zoekbalk of klik op een perceel om informatie over het perceel te bekijken.