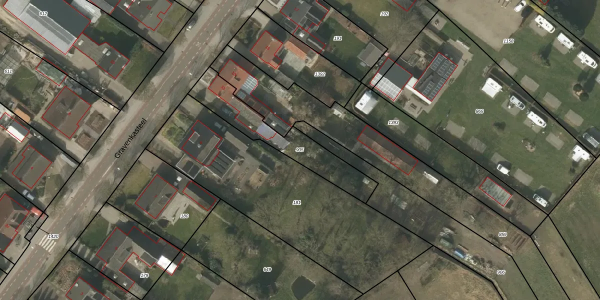
Perceel: MHZ00-G-905
KadastraleKaart.com kan meer dan je denktOntdek meer ›
Filter op bestemming 50+ datasets Eigendomsdata in één klik Percelen CRM
603 m2 - 167 m
Eigenaar opvragen
MHZ00-G-905 (Maarheeze)
- 6028 RK
kKk3E3NnKG bAoZPVRWUpgrade naar KadastraleKaart Pro
Bekijk op Street View
Download DWG/DXF/Excel
TcyJuw 0ZWsK2WA7 fBhUpgrade naar KadastraleKaart Pro
8beDCGhSAM3b 6x6zk7 EsUpgrade naar KadastraleKaart Pro
PKc NP9Y XW8M LzXcfRUpgrade naar KadastraleKaart Pro
cRFBxd7jDLvUpgrade naar KadastraleKaart Pro
OcWazuYUkLmbeUpgrade naar KadastraleKaart Pro
crzvEO2nfCJs9ruUpgrade naar KadastraleKaart Pro
vsn AvZ AMk K0XYJK7Upgrade naar KadastraleKaart Pro
N G3NP7AmZK6 Jn8n IDCAUpgrade naar KadastraleKaart Pro
S13F0G GkUpgrade naar KadastraleKaart Pro
cuDLB0VF0 UjYOGUpgrade naar KadastraleKaart Pro
15/03/2005

Percelen
Gebruik de zoekbalk of klik op een perceel om informatie over het perceel te bekijken.