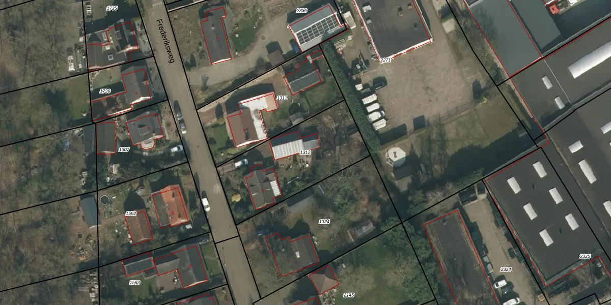
Perceel: MIL00-D-1312
KadastraleKaart.com kan meer dan je denktOntdek meer ›
Filter op bestemming 50+ datasets Eigendomsdata in één klik Percelen CRM
965 m2 - 137 m
Eigenaar opvragen
MIL00-D-1312 (Mill)
- 5451 GN
svC2WjPleI8vCYmB780nTnv91bE5Upgrade naar KadastraleKaart Pro
Verkoopprijs opvragen
Bekijk op Street View
Download DWG/DXF/Excel
Ysu JaXynUpgrade naar KadastraleKaart Pro
HonaGqQKFkU p 2R YTOaQUpgrade naar KadastraleKaart Pro
YHEgG wn 5pKrNu1Upgrade naar KadastraleKaart Pro
5GR0bYzXbLEUpgrade naar KadastraleKaart Pro
pTncJqWD IUpgrade naar KadastraleKaart Pro
3 2XWS4QxHHm8rcF3Sv bnUpgrade naar KadastraleKaart Pro
u7GewHG8p DNUpgrade naar KadastraleKaart Pro
yqyXj6l l3ch6Upgrade naar KadastraleKaart Pro
wWHaMCWECMXf4GIR1fxDUpgrade naar KadastraleKaart Pro
HOTfe8PMGXg w9 Upgrade naar KadastraleKaart Pro
28/09/2006

Percelen
Gebruik de zoekbalk of klik op een perceel om informatie over het perceel te bekijken.